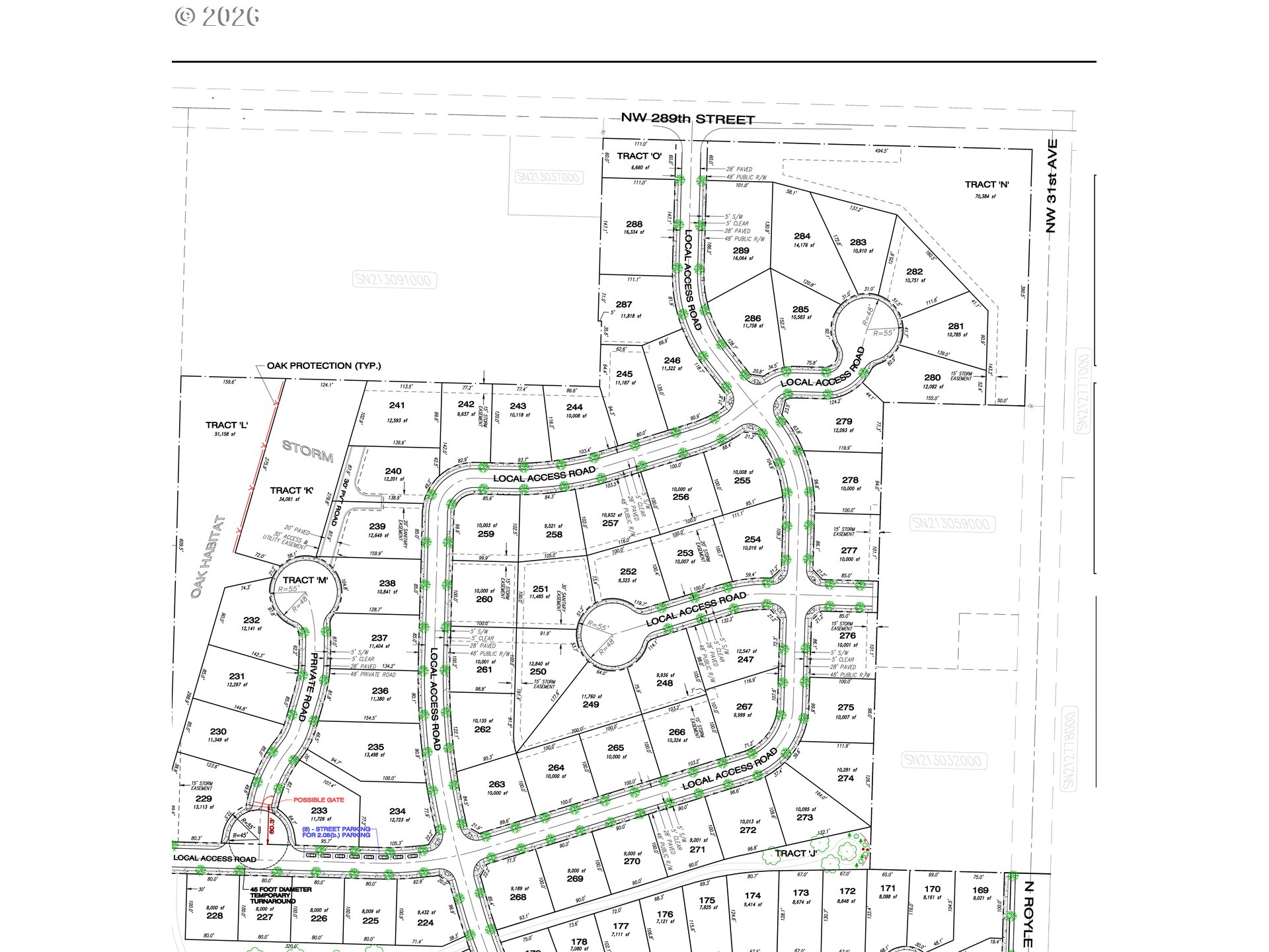
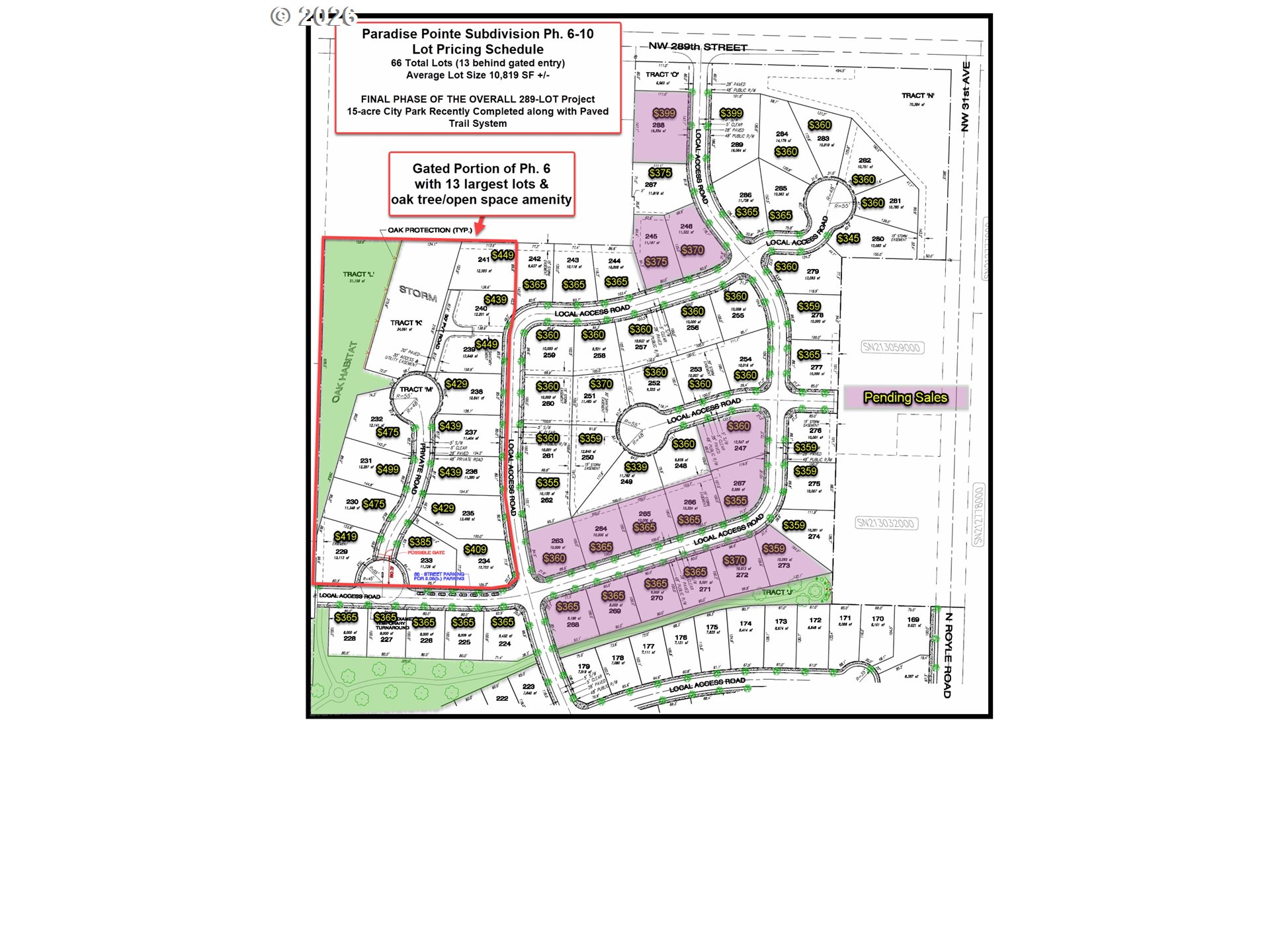
Home-Site #249 — Build your dream home in this premier phase of Paradise Pointe in Ridgefield! This premium 11,760 SF (+/-) buildable home-site is located in one of the area’s most sought-after new construction communities, offering a rare blend of privacy and access to nature. Partner with one of the region’s top award-winning custom home builders, to design and build a home tailored to your lifestyle and needs. Enjoy the privacy, security, and flexibility of building within a thoughtfully planned community featuring beautiful mountain views, mature trees, extensive walking trails, and multiple playgrounds—all in a peaceful, nature-focused setting while still just minutes to I-5, shopping, and daily conveniences. The final phase has just recorded and is ready to build. Don’t miss this limited opportunity—contact us today for pricing, builder options, and full development details.
Listing Provided Courtesy of Russ Patterson, Manor Realty Group, LLC
General Information
266259084
SingleFamilyResidence
45
DOM
RLD-4
Clark
Not Found
Union Ridge
View Ridge
Ridgefield
Land
SingleFamilyResidence
Paradise Pointe Estates Lot 249
Listing Provided Courtesy of Russ Patterson, Manor Realty Group, LLC
Krishna Realty data last checked: Mar 16, 2026 10:07 | Listing last modified Mar 07, 2026 16:06,
Source:
Download our Mobile app
Residence Information
No
Commons, FrontYardLan
Features and Utilities
Financial
0
1
83 / Month
Cash,Conventional
01-22-2026
No
No
Comparable Information
45
53
Cash,Conventional
$339,000
$339,000
Mar 07, 2026 16:06
Schools
Elementary : Union RidgeN/ARatings Middle : View Ridge N/ARatings High : RidgefieldN/ARatings
Home-Site #249 — Build your dream home in this premier phase of Paradise Pointe in Ridgefield! This premium 11,760 SF (+/-) buildable home-site is located in one of the area’s most sought-after new construction communities, offering a rare blend of privacy and access to nature. Partner with one of the region’s top award-winning custom home builders, to design and build a home tailored to your lifestyle and needs. Enjoy the privacy, security, and flexibility of building within a thoughtfully planned community featuring beautiful mountain views, mature trees, extensive walking trails, and multiple playgrounds—all in a peaceful, nature-focused setting while still just minutes to I-5, shopping, and daily conveniences. The final phase has just recorded and is ready to build. Don’t miss this limited opportunity—contact us today for pricing, builder options, and full development details.