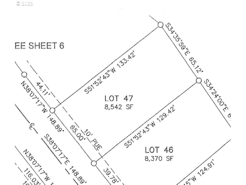
Lot 47 is 8542 sq ft in a Brand New 108 Lot McMinnville Subdivision. See picture of lot plat map for dimensions. Lots ranging from 4,500 sq ft to 14,000 sq ft. Bring your own Builder. McMinnville Water and Light Utilities, Oak Ridge Meadows Amenities include a Nature Path, Views of Baker Creek, Wetlands and a Neighborhood Park with play structure. Listing Agent is a Trustee of Seller.
Listing Provided Courtesy of Lori Zumwalt, Premier Homes Real Estate
General Information
23211619
SingleFamilyResidence
644
DOM
R2-PD
Yamhill
Not Found
Memorial 6/10
Patton 4/10
McMinnville
Land
SingleFamilyResidence
Lot 47, Oak Ridge Meadows, City of McMinnville, Yamhill County Oregon
Listing Provided Courtesy of Lori Zumwalt, Premier Homes Real Estate
Krishna Realty data last checked: Oct 18, 2025 15:19 | Listing last modified Jul 25, 2025 11:05,
Source:
Download our Mobile app
Residence Information
No
MaintenanceGrounds, R
Features and Utilities
Financial
280.2
1
175 / Annually
Cash,Conventional,FHA,FMHALoan,USDALoan,VALoan
10-20-2023
No
No
Comparable Information
644
729
Cash,Conventional,FHA,FMHALoan,USDALoan,VALoan
$269,900
$259,900
Jul 25, 2025 11:05
Schools
public Elementary : Memorial
6/10Ratingspublic Middle : Patton
4/10Ratingsprivate High : McMinnvilleN/ARatings
Lot 47 is 8542 sq ft in a Brand New 108 Lot McMinnville Subdivision. See picture of lot plat map for dimensions. Lots ranging from 4,500 sq ft to 14,000 sq ft. Bring your own Builder. McMinnville Water and Light Utilities, Oak Ridge Meadows Amenities include a Nature Path, Views of Baker Creek, Wetlands and a Neighborhood Park with play structure. Listing Agent is a Trustee of Seller.