8306 Portal Way

Blaine, WA 98230

  • Bed

  • Bath

  • 0 SqFt

  • 59 DOM

  • Built:

  • Status: Active

$1,700,000

X

8306 Portal Way

Blaine 98230

$1700000

  • Bed

  • Bath

  • 0 SqFt

  • 59 DOM

  • Built:

  • Status: Active

Krishna Regupathy

Principal Broker

(503) 893-8874

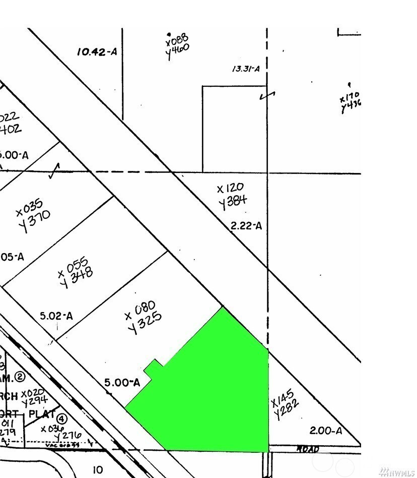
Here's an outstanding opportunity:.Two adjacent parcels 12.53 acres (545807 sq feet)of Rural Industrial Manufacturing-zoned land offer a prime opportunity just off I-5 Exit 270 in Blaine, WA—minutes from the Canadian border. With excellent access, flat topography, and all-weather roads, these sites are ideal for trucking, warehousing or future industrial development. Located in the Ferndale School District. Buyer to verify all details and perform due diligence.

Download our Mobile app

Similar Properties

Download our Mobile app

$190,000

  • Bed

  • Bath

  • 0 SqFt

  • 229 DOM

  • 0 Skagit Way, Blaine, 98230

$399,000

  • Bed

  • Bath

  • 0 SqFt

  • 4 DOM

  • 1263 Leighton Street Street, Blaine, 98230

$419,000

  • Bed

  • Bath

  • 0 SqFt

  • 16 DOM

  • 0 Night Heron Drive, Blaine, 98230

$249,000

  • Bed

  • Bath

  • 0 SqFt

  • 30 DOM

  • 8 Lot Shintaffer Road, Blaine, 98230