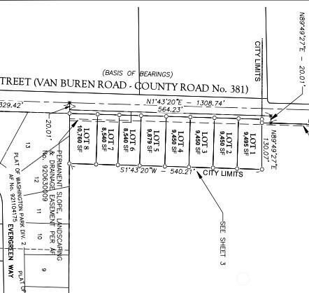
Fully engineered development opportunity in Everson. Fieldview Terrace short plat includes 8 single-family lots with engineered plans submitted and final plat approval pending. Full utility and road infrastructure plan also designed and submitted. No wetland impacts. Excellent potential for a builder or investor to step in at the finish line. Existing 5-bedroom farmhouse in good condition with tenants in place. Generates interim rental income while development is finalized, or buy and hold as a long term investment. Buyer to verify final plat recording timeline and development conditions with City.
Listing Provided Courtesy of Tony Hoefakker, COMPASS
General Information
NWM2481020
Land
2
DOM
1.86 acres
0
Residen
Whatcom
Buyer To Verify
Buyer To Verify
Buyer To Verify
Land
Land
Listing Provided Courtesy of Tony Hoefakker, COMPASS
Krishna Realty data last checked: Mar 16, 2026 15:45 | Listing last modified Feb 18, 2026 23:00,
Source:
Download our Mobile app
Residence Information
0
41 - Res-Over 1 Acre
Features and Utilities
In Street
In Street
Financial
1897
Cash, Conventional
02-16-2026
Comparable Information
2
2
Cash, Conventional
$775,000
$775,000
Feb 18, 2026 23:00
Schools
Elementary : Buyer To VerifyN/ARatings Middle : Buyer To Verify N/ARatings High : Buyer To VerifyN/ARatings
Fully engineered development opportunity in Everson. Fieldview Terrace short plat includes 8 single-family lots with engineered plans submitted and final plat approval pending. Full utility and road infrastructure plan also designed and submitted. No wetland impacts. Excellent potential for a builder or investor to step in at the finish line. Existing 5-bedroom farmhouse in good condition with tenants in place. Generates interim rental income while development is finalized, or buy and hold as a long term investment. Buyer to verify final plat recording timeline and development conditions with City.