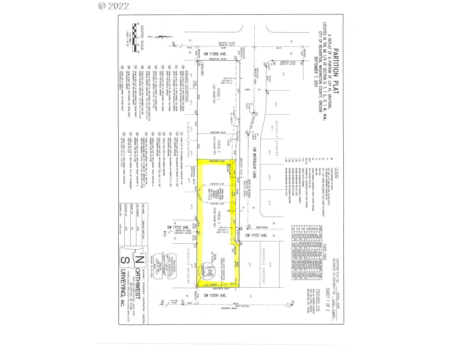
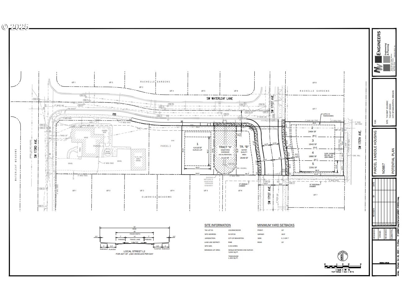
This PRIME BUILDABLE LAND is ideally situated in the heart of Beaverton, just minutes from Costco, Nike, Highway 26, and the Tanasbourne shopping area. Parcels 1 and 2 have already sold, leaving Parcel 3 as the remaining opportunity offering exceptional potential for future development. The property supports the creation of five or more buildable lots, with one lot already improved with installed curbs, sidewalks, and laterals. Recently re-zoned by the City of Beaverton from R5 to RMB, this classification allows for single-family homes on smaller lots as well as townhomes, duplexes, triplexes, cottage clusters, and more. Spanning over half an acre, this site provides ample flexibility and space for a range of residential development projects. Please see attached city pre-applications, plat map, important contacts & new zoning. Builders packet available upon request. Buyers to verify all details and development possibilities with the City of Beaverton.
Listing Provided Courtesy of Gary Potts, John L. Scott
General Information
557255533
SingleFamilyResidence
113
DOM
RMB
Washington
Not Found
Elmonica 6/10
Five Oaks 4/10
Aloha
Land
SingleFamilyResidence
Parcel 3 of Partition Plat #2021-028
Listing Provided Courtesy of Gary Potts, John L. Scott
Krishna Realty data last checked: Mar 17, 2026 02:28 | Listing last modified Feb 18, 2026 15:38,
Source:
Download our Mobile app
Residence Information
No
Features and Utilities
Financial
3411.76
0
Cash,Conventional
10-28-2025
No
No
Comparable Information
113
140
Cash,Conventional
$319,000
$319,000
Feb 18, 2026 15:38
Schools
public Elementary : Elmonica
6/10Ratingspublic Middle : Five Oaks
4/10Ratings High : AlohaN/ARatings
This PRIME BUILDABLE LAND is ideally situated in the heart of Beaverton, just minutes from Costco, Nike, Highway 26, and the Tanasbourne shopping area. Parcels 1 and 2 have already sold, leaving Parcel 3 as the remaining opportunity offering exceptional potential for future development. The property supports the creation of five or more buildable lots, with one lot already improved with installed curbs, sidewalks, and laterals. Recently re-zoned by the City of Beaverton from R5 to RMB, this classification allows for single-family homes on smaller lots as well as townhomes, duplexes, triplexes, cottage clusters, and more. Spanning over half an acre, this site provides ample flexibility and space for a range of residential development projects. Please see attached city pre-applications, plat map, important contacts & new zoning. Builders packet available upon request. Buyers to verify all details and development possibilities with the City of Beaverton.