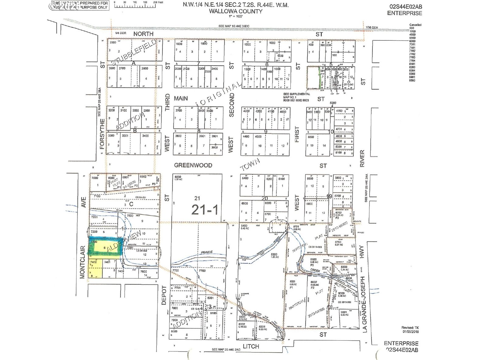
Discover the perfect opportunity to build your dream home in the heart of scenic Enterprise, Oregon! Key Lot Size: 60x120 (7,200 sq ft), ideal for a custom home or vacation retreat. Buildable: Zoned for residential use, ready for your vision (buyer to verify zoning and building requirements with Wallowa County).Utilities: City water, sewer, and power available at the street, simplifying the building process. Prairie Creek Frontage: Enjoy 60 feet of direct access to Prairie Creek Location: Just minutes from downtown Enterprise, some mountain views. Whether you're looking to create a year-round residence or a seasonal getaway. Surrounded by panoramic views. Don’t miss this rare opportunity to build your dream home along Prairie Creek in Enterprise, Oregon. Schedule a visit today!
Listing Provided Courtesy of Robin Despain, Wallowa Mountain Properties
General Information
519013711
ResidentialRecreational
174
DOM
R3
Wallowa
1776
Enterprise
Enterprise
Enterprise
Land
ResidentialRecreational
02s4402AB TL 7300
Listing Provided Courtesy of Robin Despain, Wallowa Mountain Properties
Krishna Realty data last checked: Nov 14, 2025 12:36 | Listing last modified Nov 13, 2025 17:43,
Source:
Discover the perfect opportunity to build your dream home in the heart of scenic Enterprise, Oregon! Key Lot Size: 60x120 (7,200 sq ft), ideal for a custom home or vacation retreat. Buildable: Zoned for residential use, ready for your vision (buyer to verify zoning and building requirements with Wallowa County).Utilities: City water, sewer, and power available at the street, simplifying the building process. Prairie Creek Frontage: Enjoy 60 feet of direct access to Prairie Creek Location: Just minutes from downtown Enterprise, some mountain views. Whether you're looking to create a year-round residence or a seasonal getaway. Surrounded by panoramic views. Don’t miss this rare opportunity to build your dream home along Prairie Creek in Enterprise, Oregon. Schedule a visit today!