10 Acre parcel approved for Dwelling site, out of city limits but qualifies for goal 2 exception process on sewer. Check with City of Union to verify sewer and costs. Water rights have been leased for 15 years but will come back on June 2028 to the parcel. Buyer will need to talk to Assessor to disqualify one acre for building home and cost to disqualify.
Listing Provided Courtesy of John Collins, Ranch-N-Home Realty, Inc
General Information
460648040
Farm
4
DOM
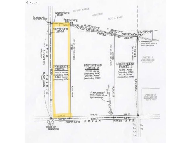
8.82 acres
R-3
Union
9155
Union 7/10
Union 7/10
Union 7/10
Land
Farm
645 3913-00-00200
Listing Provided Courtesy of John Collins, Ranch-N-Home Realty, Inc
Krishna Realty data last checked: Mar 14, 2026 04:33 | Listing last modified Mar 13, 2026 14:47,
Source:
Download our Mobile app
Residence Information
No
Features and Utilities
Financial
74.43
0
OwnerWillCarry
03-09-2026
No
No
Comparable Information
03-13-2026
4
4
OwnerWillCarry
$175,000
$175,000
Mar 13, 2026 14:47
Schools
public Elementary : Union
7/10Ratingspublic Middle : Union
7/10Ratingspublic High : Union
7/10Ratings
10 Acre parcel approved for Dwelling site, out of city limits but qualifies for goal 2 exception process on sewer. Check with City of Union to verify sewer and costs. Water rights have been leased for 15 years but will come back on June 2028 to the parcel. Buyer will need to talk to Assessor to disqualify one acre for building home and cost to disqualify.