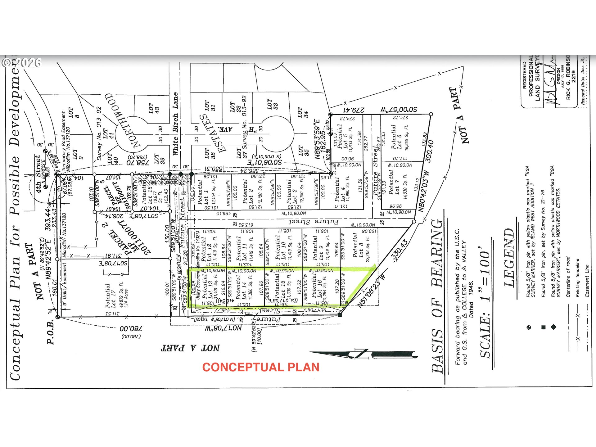
Opportunity to own 1.44 acres on the edge of a desirable Island City neighborhood! This property offers the potential to develop and partition into four buildable lots (each approximately a quarter acre or more). A nice blend of space and flexibility makes it a solid option for development, investment, or creating your own custom setup. Utilities are available and/or nearby, helping to support future plans. The location is hard to beat—just minutes from medical facilities, shopping, dining, and everyday amenities, with the La Grande Country Club just blocks away. You’ll also enjoy mountain views that enhance the overall appeal and setting. Whether you’re looking to build now or hold for the future, this is a versatile piece of ground in a growing, sought-after area. Buyer to perform their own due diligence regarding development potential, lot division, and intended use. Call today for more information!
Listing Provided Courtesy of Lana Anderson, High Country Realty Professionals
General Information
630270205
SingleFamilyResidence
21
DOM
1.44 acres
IC-R1
Union
18986
Island City 7/10
La Grande
La Grande
Land
SingleFamilyResidence
03S3803-BC-01902
Listing Provided Courtesy of Lana Anderson, High Country Realty Professionals
Krishna Realty data last checked: Apr 29, 2026 00:44 | Listing last modified Apr 08, 2026 10:39,
Source:
Download our Mobile app
Residence Information
No
Features and Utilities
Financial
1078.46
0
Cash,Conventional,OwnerWillCarry
04-08-2026
No
No
Comparable Information
21
21
Cash,Conventional,OwnerWillCarry
$365,000
$365,000
Apr 08, 2026 10:39
Schools
public Elementary : Island City
7/10Ratingsprivate Middle : La Grande N/ARatingsprivate High : La GrandeN/ARatings
Map
Listing courtesy of High Country Realty Professionals.
Opportunity to own 1.44 acres on the edge of a desirable Island City neighborhood! This property offers the potential to develop and partition into four buildable lots (each approximately a quarter acre or more). A nice blend of space and flexibility makes it a solid option for development, investment, or creating your own custom setup. Utilities are available and/or nearby, helping to support future plans. The location is hard to beat—just minutes from medical facilities, shopping, dining, and everyday amenities, with the La Grande Country Club just blocks away. You’ll also enjoy mountain views that enhance the overall appeal and setting. Whether you’re looking to build now or hold for the future, this is a versatile piece of ground in a growing, sought-after area. Buyer to perform their own due diligence regarding development potential, lot division, and intended use. Call today for more information!