Discover your own slice of paradise with this stunning recreational property located just north of Tollgate. Nestled amidst a lush, timbered landscape, this unique property offers unparalleled access to miles of public lands, perfect for outdoor enthusiasts and nature lovers alike. Only 2 miles from Tollgate and approximately 12 miles from the picturesque Jubilee Lake, it provides easy access to fishing, boating, and lakeside relaxation. The property boasts two convenient access routes and an internal trail system allowing you to easily navigate around the property.The natural beauty of the area is breathtaking with stunning views of the surrounding mountains, valleys, and multiple species of wildflowers that paint the landscape with vibrant colors. Immediate access to vast expanses of public lands opens up additional opportunities for hunting, hiking, horseback riding, and more. The timbered terrain offers a tranquil, secluded environment perfect for camping and getting away from the hustle and bustle. This property is a rare find for those seeking a retreat into nature with all the conveniences of nearby attractions. Whether you're an avid outdoorsman, a wildflower enthusiast, or someone seeking a peaceful escape, this property promises to deliver an extraordinary experience.
Listing Provided Courtesy of Brandon Hutchison, Whitetail Properties Real Estate LLC
General Information
24319177
MixedUse
360
DOM
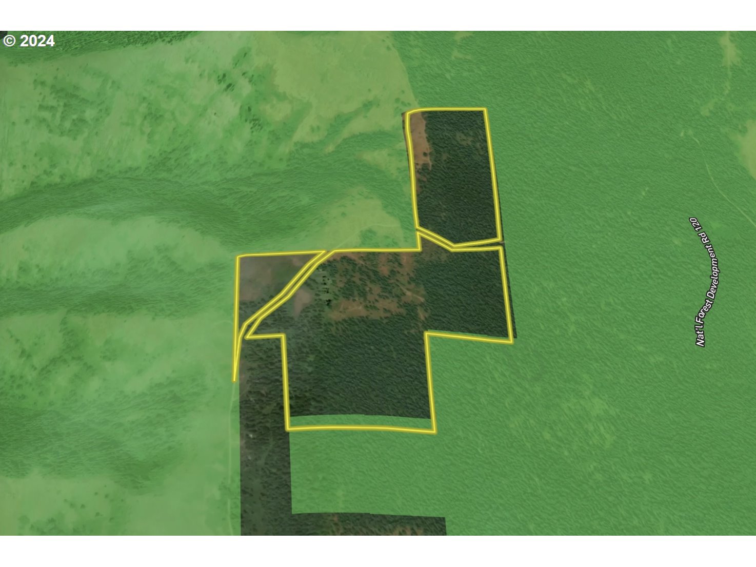
68.33 acres
GF
Umatilla
120679
Athena
Athena-Weston
Weston-McEwen
Land
MixedUse
Lengthy - Contact Listing Agent
Listing Provided Courtesy of Brandon Hutchison, Whitetail Properties Real Estate LLC
Krishna Realty data last checked: Oct 07, 2025 21:57 | Listing last modified Jul 21, 2025 07:54,
Source:
Download our Mobile app
Residence Information
No
Features and Utilities
Financial
229.48
0
Cash,Conventional,FarmCreditService,USDALoan
07-26-2024
No
No
Comparable Information
360
438
Cash,Conventional,FarmCreditService,USDALoan
$274,000
$274,000
Jul 21, 2025 07:54
Schools
Elementary : AthenaN/ARatings Middle : Athena-Weston N/ARatings High : Weston-McEwenN/ARatings
Map
Listing courtesy of Whitetail Properties Real Estate LLC.
Discover your own slice of paradise with this stunning recreational property located just north of Tollgate. Nestled amidst a lush, timbered landscape, this unique property offers unparalleled access to miles of public lands, perfect for outdoor enthusiasts and nature lovers alike. Only 2 miles from Tollgate and approximately 12 miles from the picturesque Jubilee Lake, it provides easy access to fishing, boating, and lakeside relaxation. The property boasts two convenient access routes and an internal trail system allowing you to easily navigate around the property.The natural beauty of the area is breathtaking with stunning views of the surrounding mountains, valleys, and multiple species of wildflowers that paint the landscape with vibrant colors. Immediate access to vast expanses of public lands opens up additional opportunities for hunting, hiking, horseback riding, and more. The timbered terrain offers a tranquil, secluded environment perfect for camping and getting away from the hustle and bustle. This property is a rare find for those seeking a retreat into nature with all the conveniences of nearby attractions. Whether you're an avid outdoorsman, a wildflower enthusiast, or someone seeking a peaceful escape, this property promises to deliver an extraordinary experience.