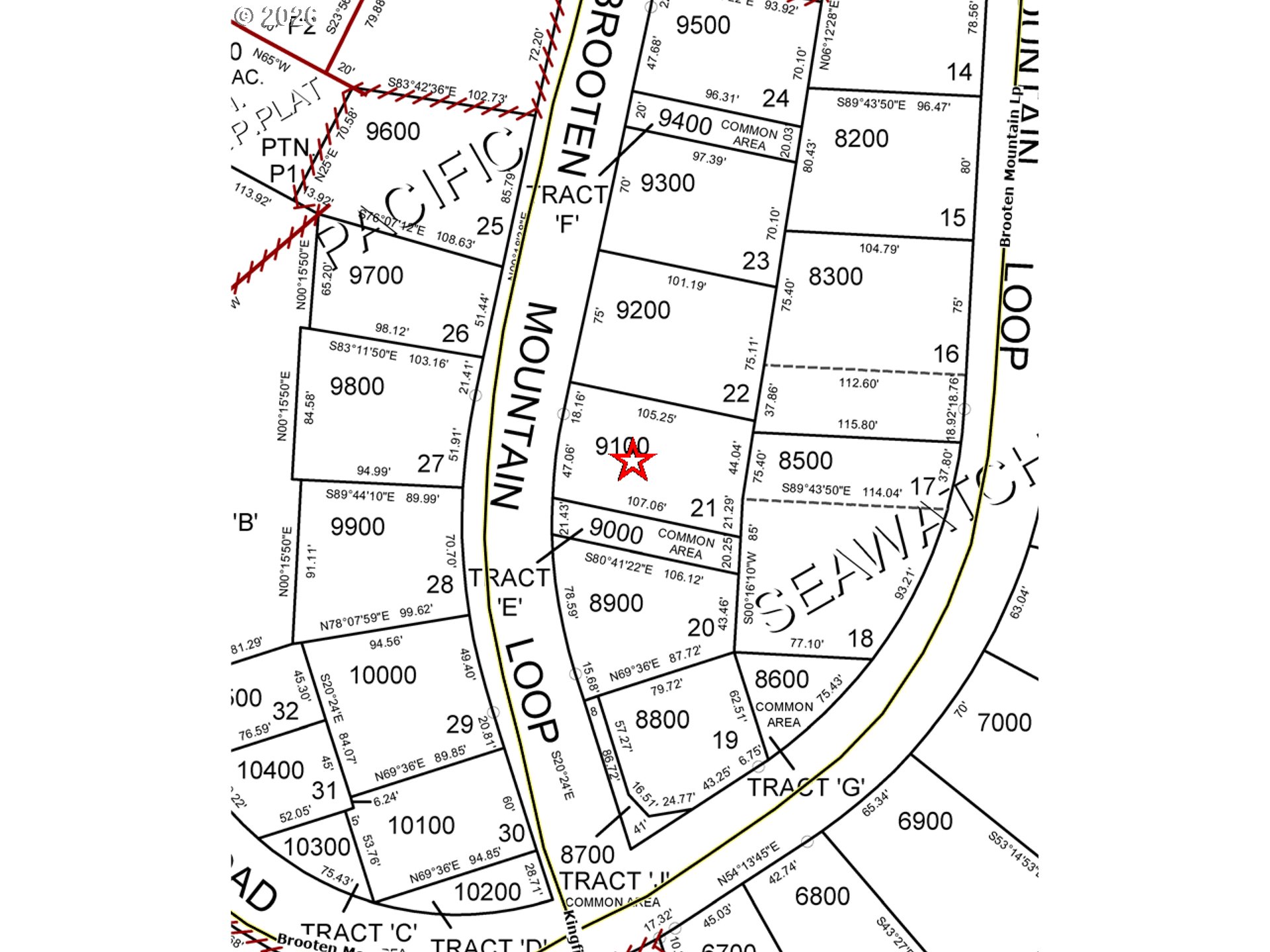
Perched above the Pacific Ocean, this generous lot combines stunning views and safety from Ocean/River flood hazards. Design your custom retreat with view of the Cape Kiwanda Rock and the ocean. Underground utilities, gentle slope and lot placement lessen the complexity of building. Pacific Seawatch has a myriad of community amenities; indoor saline swimming pool & hot tub, weight room, party room and ocean view golf putting course. Lot #21 is a short walk to the clubhouse and sits across the street from the "Coastal Living Home" a custom designed beauty that is a pleasure to look at. A community utility easement on the South side adds a bit more privacy and space between lots #21 & #22.Pacific City beach has a great surf break, wide sandy beaches and a vibrant collection of shops, dining and activities. The Nestucca River flows into the Pacific Ocean at this point and you can kayak, canoe and fish the Nestucca as well as enjoying the view of the confluence of the river and the ocean. A special treat for an unparalleled view opportunity. Pacific Seawatch has maintained view corridors with strict height restrictions, so each ocean view lot has the opportunity to have their view maintained. Buyer to perform due diligence on land use regulations & build process.Seller is licensed real estate agent in state of Oregon Clubhouse link in virtual tour
Listing Provided Courtesy of Teresa St. Martin, Windermere Realty Trust
General Information
368356642
ResidentialRecreational
1
DOM
6969.6 SqFt
PCW-R3
Tillamook
411613
Nestucca Valley
Nestucca Valley
Nestucca
Land
ResidentialRecreational
SUBD NAME: PACIFIC SEAWATCH PHASE 1 LOT NO: 21
Listing Provided Courtesy of Teresa St. Martin, Windermere Realty Trust
Krishna Realty data last checked: May 05, 2026 04:41 | Listing last modified Mar 25, 2026 14:19,
Source:
Download our Mobile app
Residence Information
No
Commons, MeetingRoom,
Features and Utilities
Financial
2512.05
1
Cash,Conventional
03-24-2026
No
No
Comparable Information
1
42
Cash,Conventional
$299,000
$299,000
Mar 25, 2026 14:19
Schools
Elementary : Nestucca ValleyN/ARatings Middle : Nestucca Valley N/ARatings High : NestuccaN/ARatings
Perched above the Pacific Ocean, this generous lot combines stunning views and safety from Ocean/River flood hazards. Design your custom retreat with view of the Cape Kiwanda Rock and the ocean. Underground utilities, gentle slope and lot placement lessen the complexity of building. Pacific Seawatch has a myriad of community amenities; indoor saline swimming pool & hot tub, weight room, party room and ocean view golf putting course. Lot #21 is a short walk to the clubhouse and sits across the street from the "Coastal Living Home" a custom designed beauty that is a pleasure to look at. A community utility easement on the South side adds a bit more privacy and space between lots #21 & #22.Pacific City beach has a great surf break, wide sandy beaches and a vibrant collection of shops, dining and activities. The Nestucca River flows into the Pacific Ocean at this point and you can kayak, canoe and fish the Nestucca as well as enjoying the view of the confluence of the river and the ocean. A special treat for an unparalleled view opportunity. Pacific Seawatch has maintained view corridors with strict height restrictions, so each ocean view lot has the opportunity to have their view maintained. Buyer to perform due diligence on land use regulations & build process.Seller is licensed real estate agent in state of Oregon Clubhouse link in virtual tour