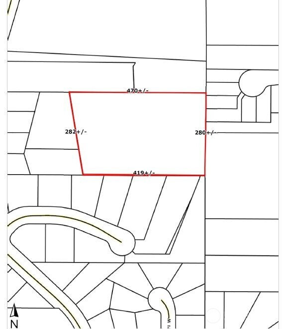
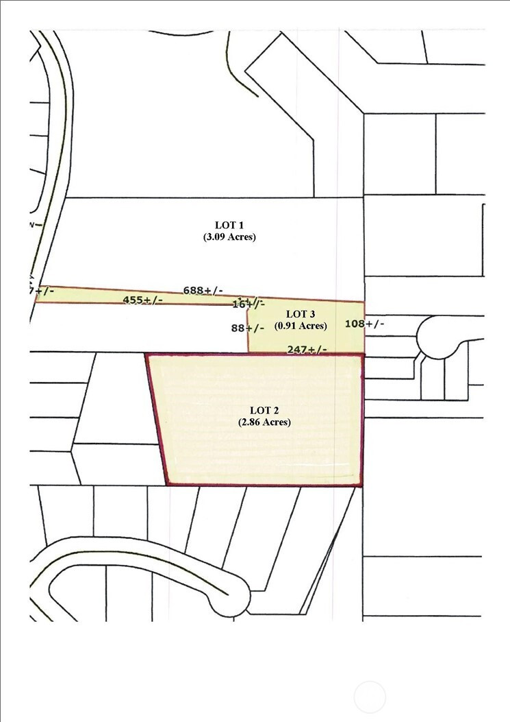
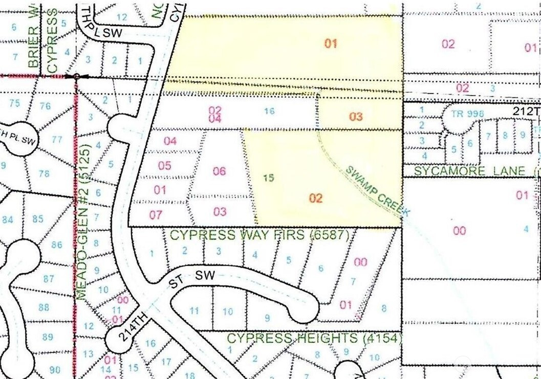
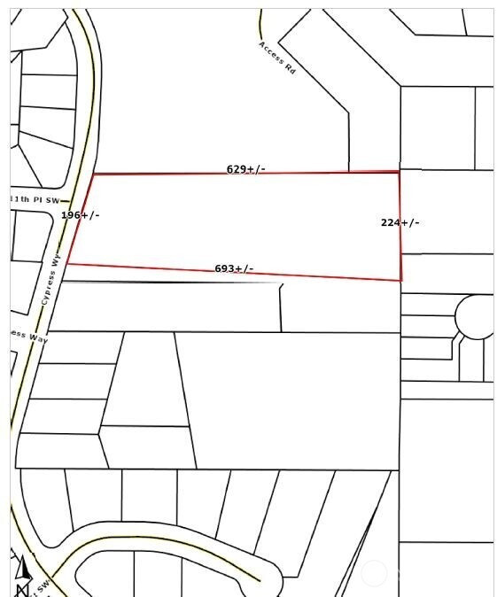
PRICED TO SELL! Exceptional 6.86 Acres (298,822 SF)3-Parcels Assemblage Land Alderwood Manor Zoned County-R-8400.Strategically Located Easy Access To Alderwood Mall, Conveniences, Parks, Lake & Easy Freeway Access. Alderwood Manor In Snohomish County Is One Of Best Place To Live In Washington & Offers Residents Dense Suburban Feel.Parcels#00373101101601-3.09 Acres(134,600 SF),#00373101101603-0.91 Acres (39,640 SF) & #00373101101502-2.86 Acres(124,582 SF). Based On Zoning*Possibility of 35*Short Plat Lots (Note 35*Short Plat Lots Is Strictly Based On Zoning. No Consideration For Land Characteristic & Unknown Condition) All Information Reliable & Not Warranted By Seller's Estate/Listing Broker. Buyers & Advisor To Verify Independently All Information To Own Satisfaction
Listing Provided Courtesy of Chris K. Soon, TEC Real Estate Inc.
General Information
NWM2477975
Land
937
DOM
6.85 acres
0
Residen
Snohomish
Land
Land
Listing Provided Courtesy of Chris K. Soon, TEC Real Estate Inc.
Krishna Realty data last checked: Apr 26, 2026 20:36 | Listing last modified Apr 16, 2026 06:56,
Source:
PRICED TO SELL! Exceptional 6.86 Acres (298,822 SF)3-Parcels Assemblage Land Alderwood Manor Zoned County-R-8400.Strategically Located Easy Access To Alderwood Mall, Conveniences, Parks, Lake & Easy Freeway Access. Alderwood Manor In Snohomish County Is One Of Best Place To Live In Washington & Offers Residents Dense Suburban Feel.Parcels#00373101101601-3.09 Acres(134,600 SF),#00373101101603-0.91 Acres (39,640 SF) & #00373101101502-2.86 Acres(124,582 SF). Based On Zoning*Possibility of 35*Short Plat Lots (Note 35*Short Plat Lots Is Strictly Based On Zoning. No Consideration For Land Characteristic & Unknown Condition) All Information Reliable & Not Warranted By Seller's Estate/Listing Broker. Buyers & Advisor To Verify Independently All Information To Own Satisfaction