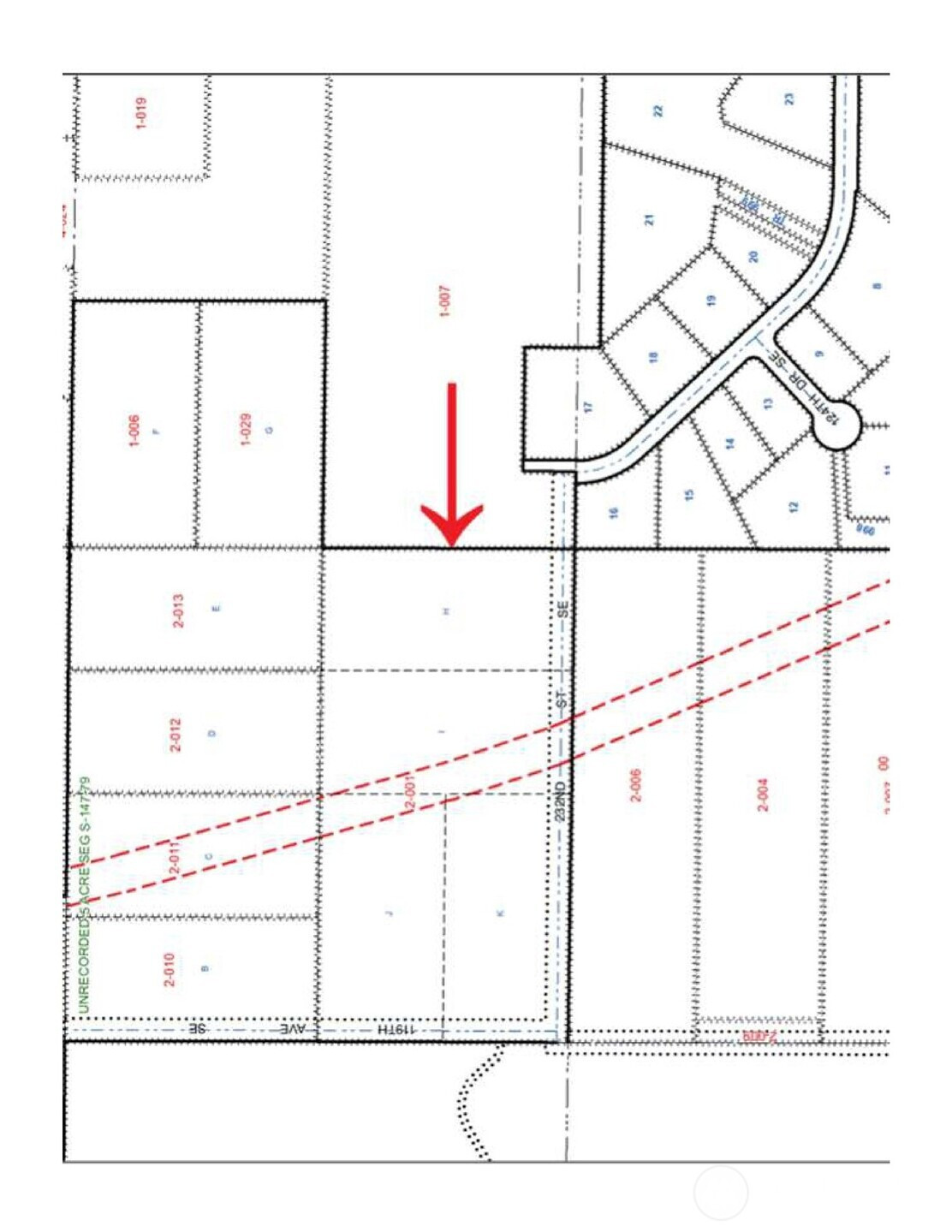
Great location to build your dream home. All of the utilities are on site and ready to make your vision into your dream home. Must see 5+-acre property in sought-after Woodinville, located within the Monroe School District and ideal for development or a custom estate. There is a mobile home on the land that fully operational. This peaceful, wooded setting offers privacy and natural beauty while remaining conveniently close to amenities and within approximately 35 minutes of Seattle. Mature evergreen and deciduous trees create a serene backdrop with endless possibilities for custom landscaping and enhancing the existing beauty. A rare opportunity to secure a substantial parcel in a prime location—perfect for buyers seeking space, options, and tranquility without sacrificing connectivity. Follow the signs to the parcel.
Listing Provided Courtesy of Nima Cyrus Bagha, AQUA Real Estate
General Information
NWM2512498
Land
1
DOM
5.01 acres
0
Residen
Snohomish
Buyer To Verify
Buyer To Verify
Buyer To Verify
Land
Land
Listing Provided Courtesy of Nima Cyrus Bagha, AQUA Real Estate
Krishna Realty data last checked: Apr 24, 2026 02:42 | Listing last modified Apr 23, 2026 19:38,
Source:
Download our Mobile app
Residence Information
0
41 - Res-Over 1 Acre
Features and Utilities
Private Well
Not Available
Financial
4510
Cash, Conventional, Farm Home Loan, FHA, Owner Will Carry, Rehab Loan, See Remarks, State Bond, VA Loan
04-23-2026
Comparable Information
1
1
Cash, Conventional, Farm Home Loan, FHA, Owner Will Carry, Rehab Loan, See Remarks, State Bond, VA Loan
$649,880
$649,880
Apr 23, 2026 19:38
Schools
Elementary : Buyer To VerifyN/ARatings Middle : Buyer To Verify N/ARatings High : Buyer To VerifyN/ARatings
Great location to build your dream home. All of the utilities are on site and ready to make your vision into your dream home. Must see 5+-acre property in sought-after Woodinville, located within the Monroe School District and ideal for development or a custom estate. There is a mobile home on the land that fully operational. This peaceful, wooded setting offers privacy and natural beauty while remaining conveniently close to amenities and within approximately 35 minutes of Seattle. Mature evergreen and deciduous trees create a serene backdrop with endless possibilities for custom landscaping and enhancing the existing beauty. A rare opportunity to secure a substantial parcel in a prime location—perfect for buyers seeking space, options, and tranquility without sacrificing connectivity. Follow the signs to the parcel.