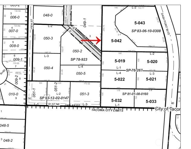
Rare opportunity in Pierce County’s Urban Growth Area! This approx. 0.7-acre parcel offers exciting development potential with a partial short plat for three lots completed, providing a head start for builders and investors. Access to these lots is from Watchtower Rd. NE, yet it looks like there may be access from Dash Point Rd. Located within the UGA, the property benefits from growth-oriented zoning that supports additional residential development (buyer to verify). The site features captivating Puget Sound and mountain views, adding premium appeal for future homes. Recent price point for sales in the area have been over $1,000,000.00+ Utilities are available in the street, and the location offers convenient access while maintaining a sense of privacy. Whether completing the existing short plat, exploring further development potential, or keeping the property as -is and building your own dream estate! This is a standout investment opportunity in a highly desirable setting.
Listing Provided Courtesy of Julia Galleher, Keller Williams Realty PS
General Information
NWM2502224
Land
17
DOM
0.7 acres
0
Residen
Pierce
Buyer To Verify
Buyer To Verify
Buyer To Verify
Land
Land
Listing Provided Courtesy of Julia Galleher, Keller Williams Realty PS
Krishna Realty data last checked: Apr 25, 2026 18:12 | Listing last modified Apr 22, 2026 21:48,
Source:
Download our Mobile app
Residence Information
0
40 - Res-Less thn 1 Ac
Features and Utilities
In Street
Available, In Street
Financial
2938
Cash, Conventional
04-05-2026
Comparable Information
17
17
Cash, Conventional
$750,000
$750,000
Apr 22, 2026 21:48
Schools
Elementary : Buyer To VerifyN/ARatings Middle : Buyer To Verify N/ARatings High : Buyer To VerifyN/ARatings
Rare opportunity in Pierce County’s Urban Growth Area! This approx. 0.7-acre parcel offers exciting development potential with a partial short plat for three lots completed, providing a head start for builders and investors. Access to these lots is from Watchtower Rd. NE, yet it looks like there may be access from Dash Point Rd. Located within the UGA, the property benefits from growth-oriented zoning that supports additional residential development (buyer to verify). The site features captivating Puget Sound and mountain views, adding premium appeal for future homes. Recent price point for sales in the area have been over $1,000,000.00+ Utilities are available in the street, and the location offers convenient access while maintaining a sense of privacy. Whether completing the existing short plat, exploring further development potential, or keeping the property as -is and building your own dream estate! This is a standout investment opportunity in a highly desirable setting.