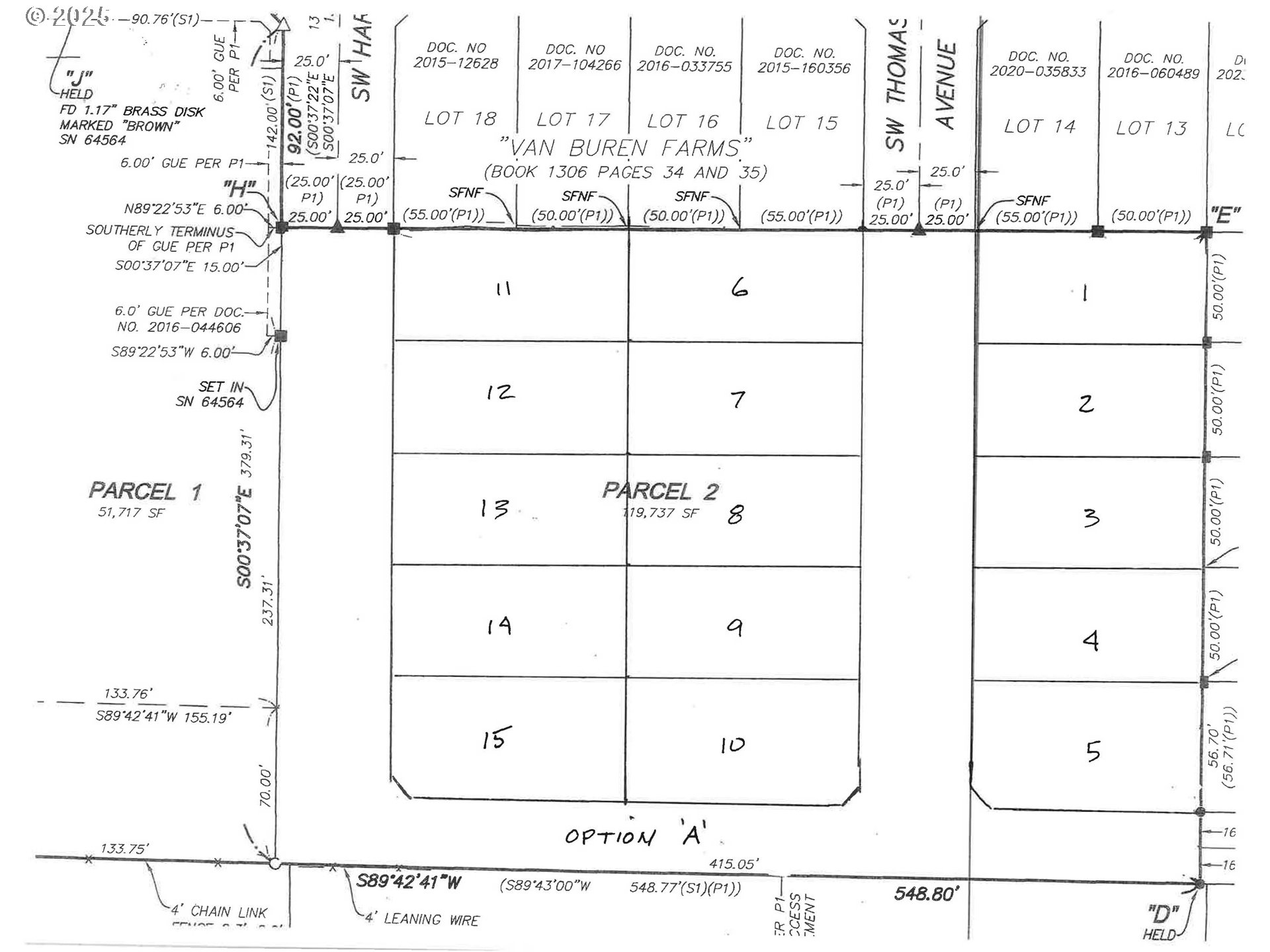
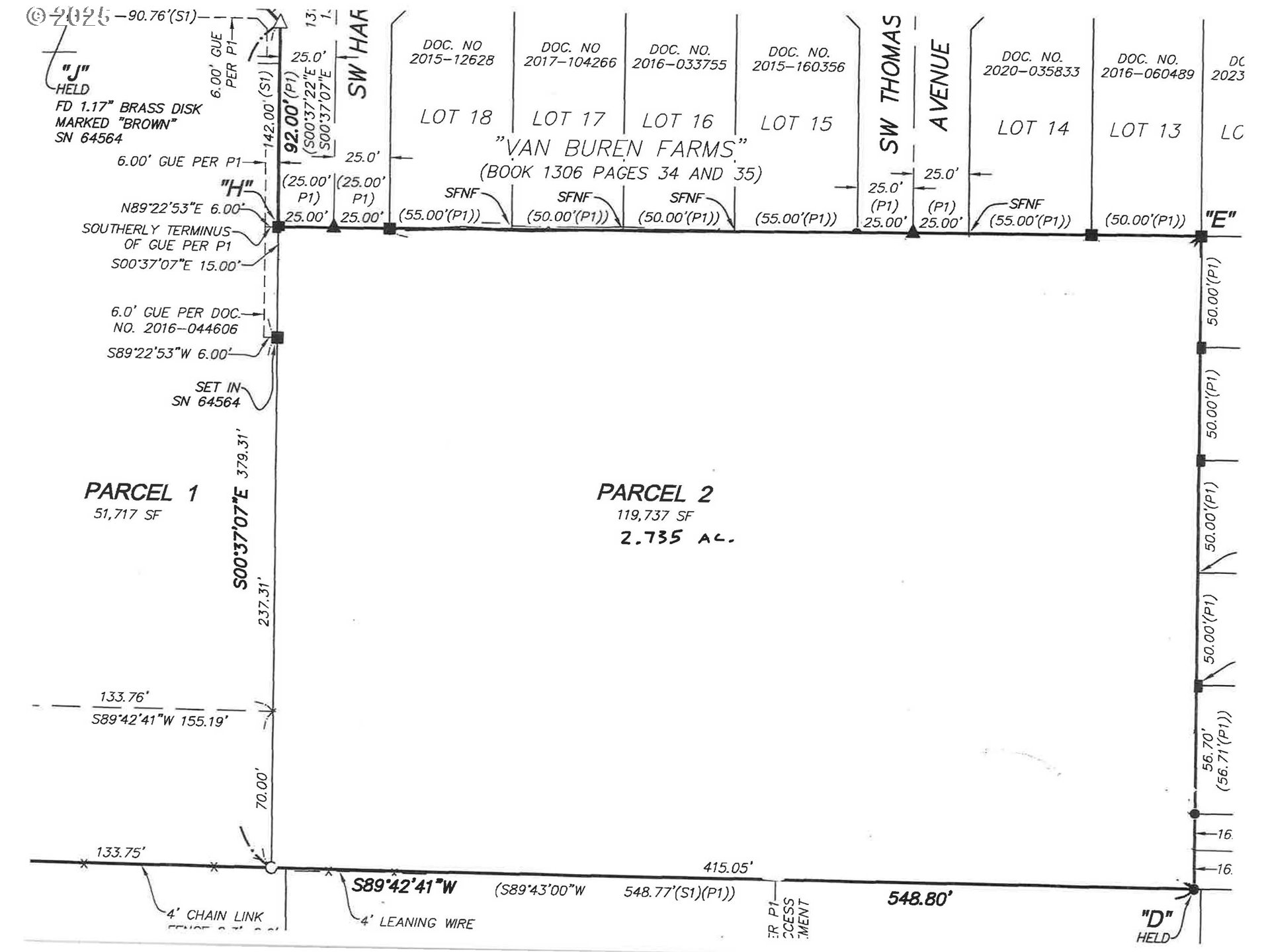
Presenting a rare opportunity for developers and builders to acquire a strategic 2.7-acre parcel in the rapidly growing Pleasant Valley area of Gresham. Zoned LDR-PV (Low Density Residential - Pleasant Valley), this property is one of the last remaining undeveloped sites of its size in this highly active construction corridor.The parcel offers significant flexibility for your next project. To illustrate its potential, we have shown three different conceptual layouts, and more are possible depending on how creative you can get. This versatility allows you to cater precisely to market demand.With new construction projects successfully underway on surrounding properties, the demand and viability of this location are well established. This is a premier chance to secure a foothold and shape a new community within a proven market.Buyer is responsible for performing all their own due diligence.
Listing Provided Courtesy of Thatcher Green, Builders Marketing Group
General Information
650744469
SingleFamilyResidence
143
DOM
2.74 acres
LDR-PV
Multnomah
R668125
Butler Creek 7/10
Centennial
Centennial
Land
SingleFamilyResidence
VAN BUREN FARMS, LOT A TL 6300, RESERVED FOR FUTURE DEVELOPMENT
Listing Provided Courtesy of Thatcher Green, Builders Marketing Group
Krishna Realty data last checked: Jan 16, 2026 03:09 | Listing last modified Dec 26, 2025 14:18,
Source:
Download our Mobile app
Residence Information
No
Features and Utilities
Financial
9221.96
0
Cash
08-05-2025
No
No
Comparable Information
143
164
Cash
$1,200,000
$1,200,000
Dec 26, 2025 14:18
Schools
public Elementary : Butler Creek
7/10Ratings Middle : Centennial N/ARatings High : CentennialN/ARatings
Presenting a rare opportunity for developers and builders to acquire a strategic 2.7-acre parcel in the rapidly growing Pleasant Valley area of Gresham. Zoned LDR-PV (Low Density Residential - Pleasant Valley), this property is one of the last remaining undeveloped sites of its size in this highly active construction corridor.The parcel offers significant flexibility for your next project. To illustrate its potential, we have shown three different conceptual layouts, and more are possible depending on how creative you can get. This versatility allows you to cater precisely to market demand.With new construction projects successfully underway on surrounding properties, the demand and viability of this location are well established. This is a premier chance to secure a foothold and shape a new community within a proven market.Buyer is responsible for performing all their own due diligence.