SE Phelps Mountain LN TL1200

Silverton, 97381

  • Bed

  • Bath

  • SqFt

  • 1 DOM

  • Built:

  • Status: Active

$

X

SE Phelps Mountain LN TL1200

Silverton 97381

$

  • Bed

  • Bath

  • SqFt

  • 1 DOM

  • Built:

  • Status: Active

Krishna Regupathy

Principal Broker

(503) 893-8874

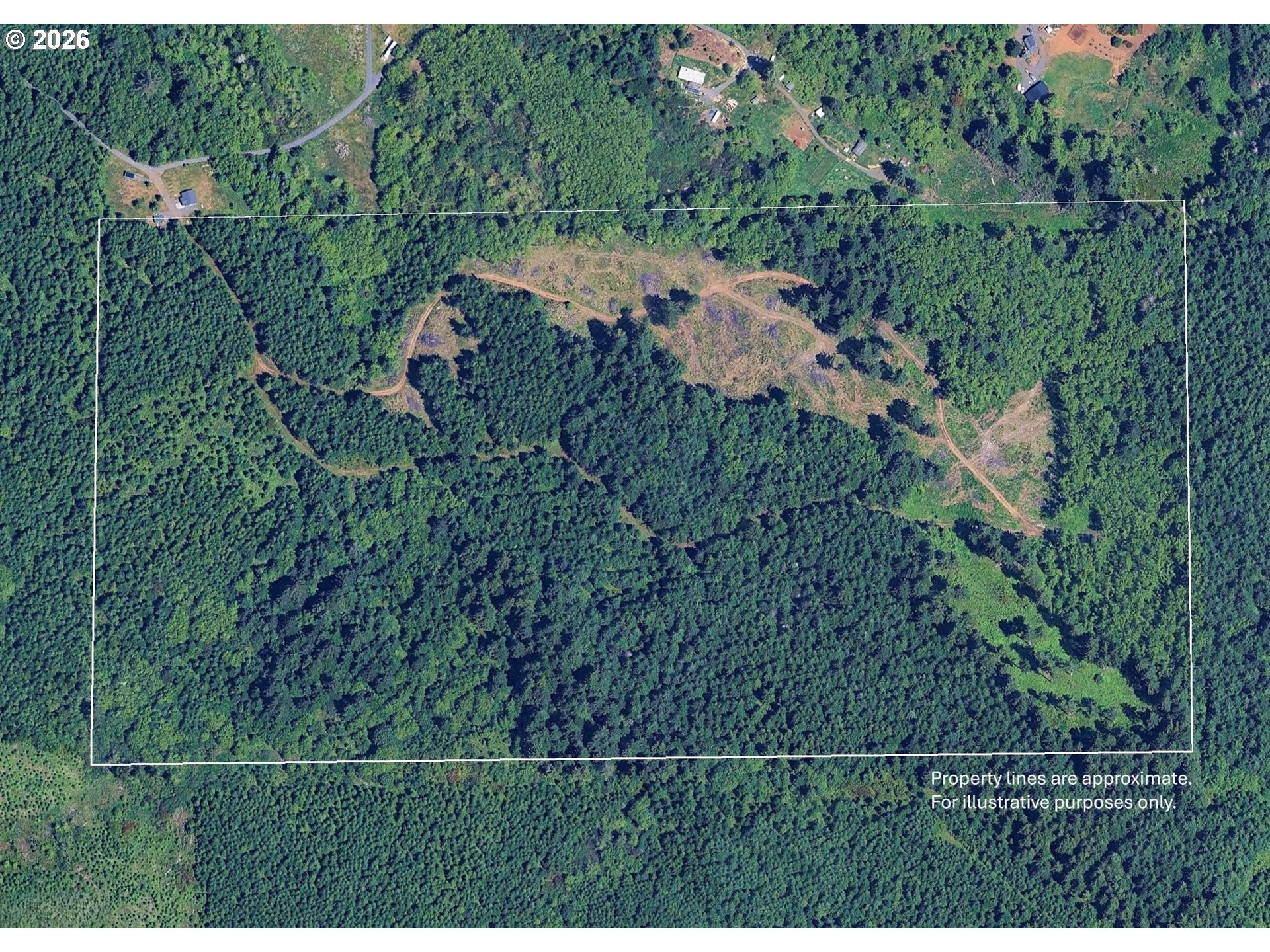
Discover a premier opportunity to own a timber tract tucked away in the scenic foothills of the Cascades. Located just 13 miles southeast of Silverton and a short 6-mile drive from the iconic Silver Falls State Park, this property combines secluded natural beauty with investment potential. This property features a multi-generational timber profile designed for staggered, steady income. The inventory includes: Merchantable Timber: 8+ acres of prime 60-year-old ± Douglas-fir. Pre-Merch: 22± Acres of 35-year Doug-fir. Growing Stock: Approximately 19 acres of healthy Douglas-fir 26 years old, providing excellent mid-term growth. Next Generation: 9 acres recently logged in 2023, ready for reforestation to kickstart the next cycle of value. Variety: There is about 15 acres of red alder. With level to gentle sloping topography, the property is suited for cost-effective ground-based logging. Site Index 122: Good soils ensures healthy tree development. Infrastructure: A dirt road loops through the property with branching spurs, providing easy hikeable access during wet conditions and drivable during dry. Beyond the balance sheet, the property offers stunning territorial views of the surrounding forested mountains and the deer trails are abundant. It is a true retreat, offering the peace and quiet of the Oregon wilderness while remaining only 25 miles from the amenities of Salem and Stayton. Whether you are looking to diversify your portfolio with a tangible asset or seeking a private forest retreat, this Marion County gem is ready for its next steward. Marion Woods is being offered in a Sealed Bid Auction with bids due by 04/20/26 by 4pm. Contact a Broker for a copy of the bid packet and to explain the process if you're unfamiliar. Shown by appointment only to qualified Buyers. Access is by easement 2 miles behind a locked gate over private roads. Property is unlikely to be approved for residential use. Buyer to do their own due diligence. No Seller financing.

Download our Mobile app

Similar Properties

Download our Mobile app

$4,199,000

  • Bed

  • Bath

  • 0 SqFt

  • 256 DOM

  • 000 Abiqua Dam (Large), Silverton, 97381

$759,000

  • Bed

  • Bath

  • 0 SqFt

  • 256 DOM

  • 000 Abiqua Dam (SMALL), Silverton, 97381

$439,000

  • Bed

  • Bath

  • 0 SqFt

  • 329 DOM

  • 0 Powers Creek (North) LOOP, Silverton, 97381