Raw land available to build your sweet beach retreat. This lot is in the quiet and lush Eagle Point area, and is just east of Hwy 101. The property is raw & treed and has water, sewer, and power at the street. Could possibly put 2 tiny homes on this lot.Buyer to do due diligence.
Listing Provided Courtesy of Mary Mayther-Slac, Vantage Point Properties Inc
General Information
777055144
ResidentialRecreational
76
DOM
4791.6 SqFt
R-R
Lincoln
R177830
Oceanlake
Taft 3/10
Taft 3/10
Land
ResidentialRecreational
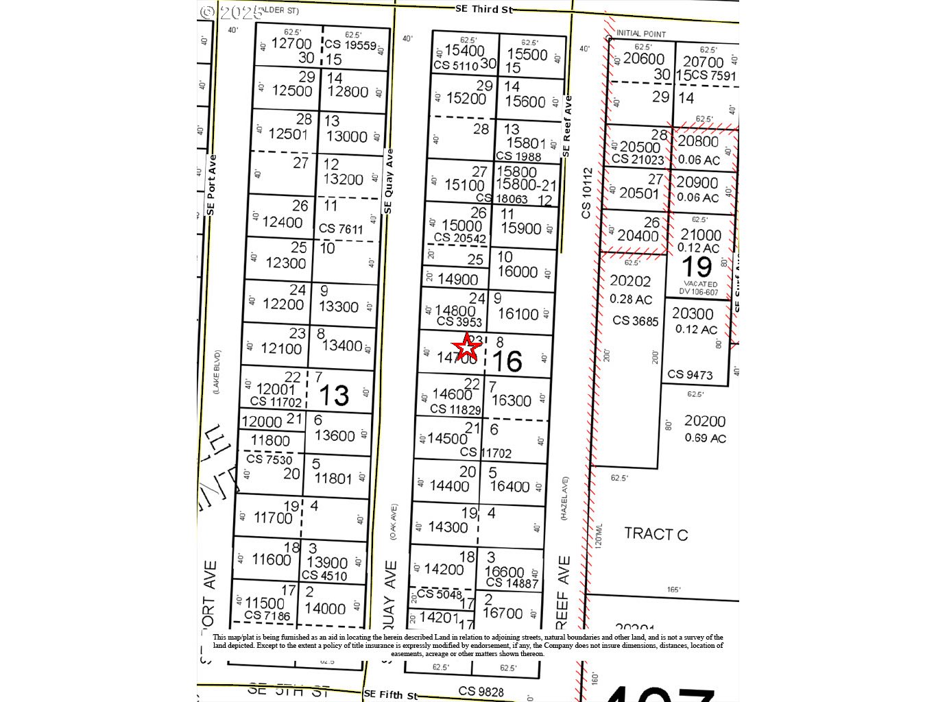
PROPERTY ID R177830 EAGLE POINT, BLOCK 16, LOT 8 & 23, DOC200617795
Listing Provided Courtesy of Mary Mayther-Slac, Vantage Point Properties Inc
Krishna Realty data last checked: Mar 16, 2026 18:01 | Listing last modified Nov 11, 2025 10:31,
Source:
Download our Mobile app
Residence Information
No
Features and Utilities
Financial
534.24
0
Cash
08-27-2025
No
No
Comparable Information
76
201
Cash
$100,000
$100,000
Nov 11, 2025 10:31
Schools
public Elementary : OceanlakeN/ARatingspublic Middle : Taft
3/10Ratingspublic High : Taft
3/10Ratings
Raw land available to build your sweet beach retreat. This lot is in the quiet and lush Eagle Point area, and is just east of Hwy 101. The property is raw & treed and has water, sewer, and power at the street. Could possibly put 2 tiny homes on this lot.Buyer to do due diligence.