Don't wait to build your dream home on this .48 acre, ready to build lot in the coveted HOA community of high end homes at the Resort at Bayview. Well established community with amenities including an indoor pool, spa, workout center and clubhouse. Close to the beach, restaurants, coffee shops, everything else you want at your coastal retreat. Zoning 1-7.5. Inquire for development package for more information.
Listing Provided Courtesy of Amy Walsh, Windermere Realty Trust
General Information
24255678
SingleFamilyResidence
443
DOM
0.48 acres
R 1-7.5
Lincoln
R523744
Taft 3/10
Taft 3/10
Taft 3/10
Land
SingleFamilyResidence
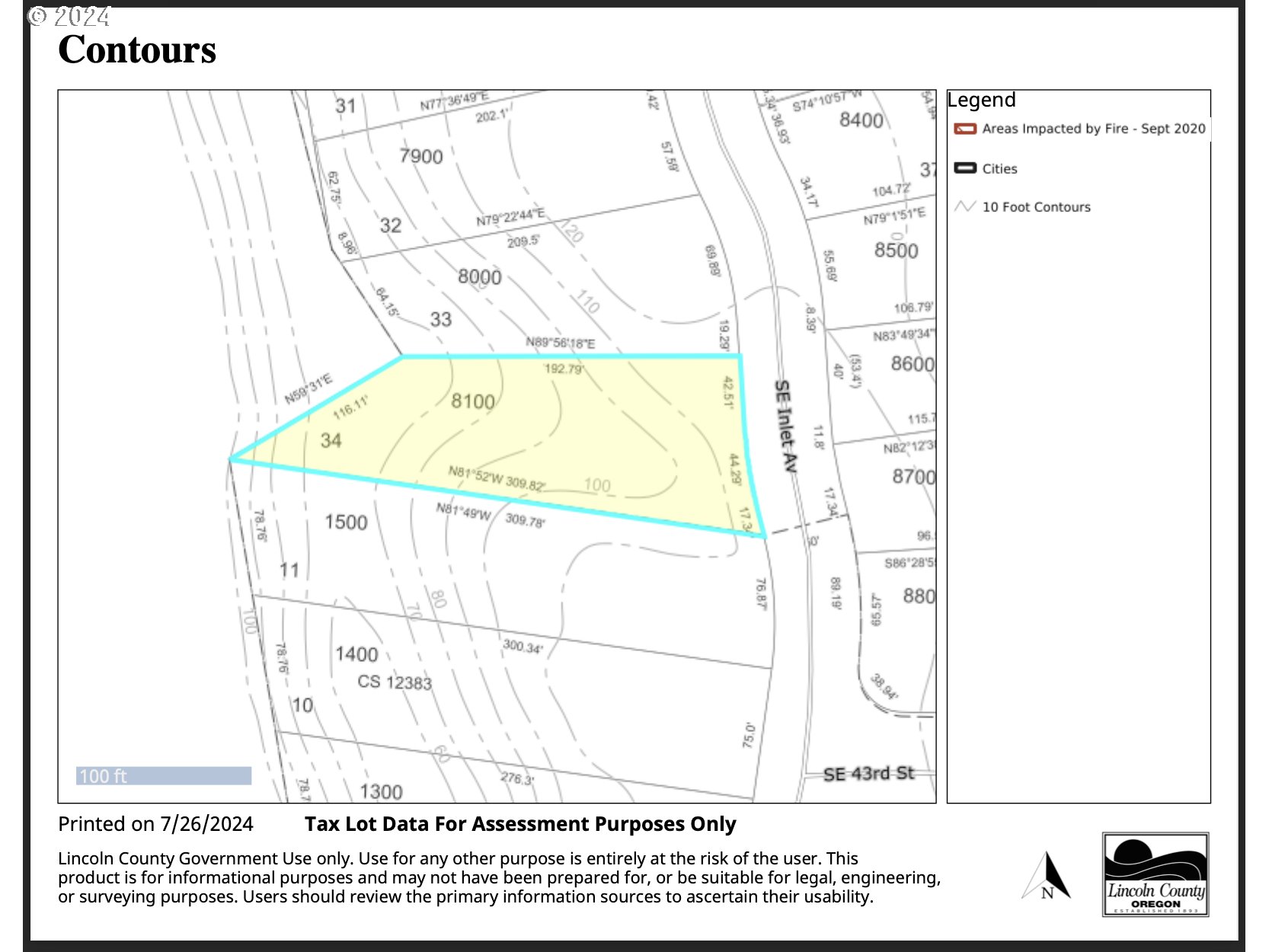
PROPERTY ID R523744 RESORT AT BAYVIEW PUD, LOT 34, DOC201804059
Listing Provided Courtesy of Amy Walsh, Windermere Realty Trust
Krishna Realty data last checked: Nov 18, 2025 06:11 | Listing last modified Oct 15, 2025 08:10,
Source:
Download our Mobile app
Residence Information
No
Gym, MeetingRoom, Pool
Features and Utilities
Financial
870.87
1
129 / Month
40
Cash
07-29-2024
No
No
Comparable Information
443
477
Cash
$80,000
$57,400
Oct 15, 2025 08:10
Schools
public Elementary : Taft
3/10Ratingspublic Middle : Taft
3/10Ratingspublic High : Taft
3/10Ratings
Don't wait to build your dream home on this .48 acre, ready to build lot in the coveted HOA community of high end homes at the Resort at Bayview. Well established community with amenities including an indoor pool, spa, workout center and clubhouse. Close to the beach, restaurants, coffee shops, everything else you want at your coastal retreat. Zoning 1-7.5. Inquire for development package for more information.