This large property perched on a hill side, boasts vast views of the beautiful Pacific Ocean. With 3.5 acres, the property has great development potential. Located near the Yaquina Head Lighthouse, it offers close proximity for many adventures; such as hiking, site seeing or beach combing. Be sure not to miss out on this stunning land!
Listing Provided Courtesy of Robyn Verdier, Premiere Property Group, LLC
General Information
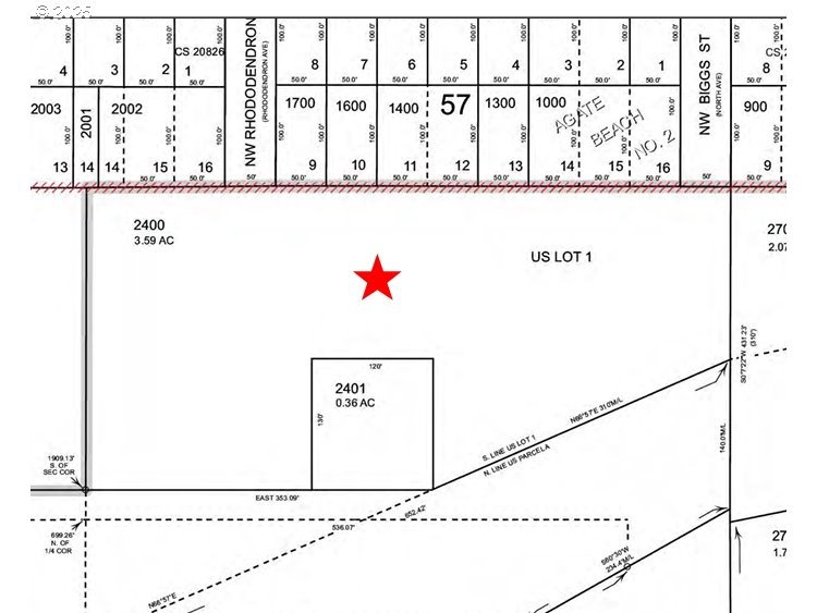
482901140
ResidentialRecreational
356
DOM
3.59 acres
R2
Lincoln
R297611
Sam Case 4/10
Newport
Newport
Land
ResidentialRecreational
PROPERTY ID R297611 TWNSHP 10, RNG 11, ACRES 3.59, DOC200505324
Listing Provided Courtesy of Robyn Verdier, Premiere Property Group, LLC
Krishna Realty data last checked: Apr 27, 2026 03:10 | Listing last modified Mar 26, 2026 19:05,
Source:
Download our Mobile app
Residence Information
No
Features and Utilities
Financial
3650
0
Cash,Conventional
04-04-2025
No
No
Comparable Information
356
388
Cash,Conventional
$700,000
$800,000
Mar 26, 2026 19:05
Schools
public Elementary : Sam Case
4/10Ratingsprivate Middle : Newport N/ARatingsprivate High : NewportN/ARatings
This large property perched on a hill side, boasts vast views of the beautiful Pacific Ocean. With 3.5 acres, the property has great development potential. Located near the Yaquina Head Lighthouse, it offers close proximity for many adventures; such as hiking, site seeing or beach combing. Be sure not to miss out on this stunning land!