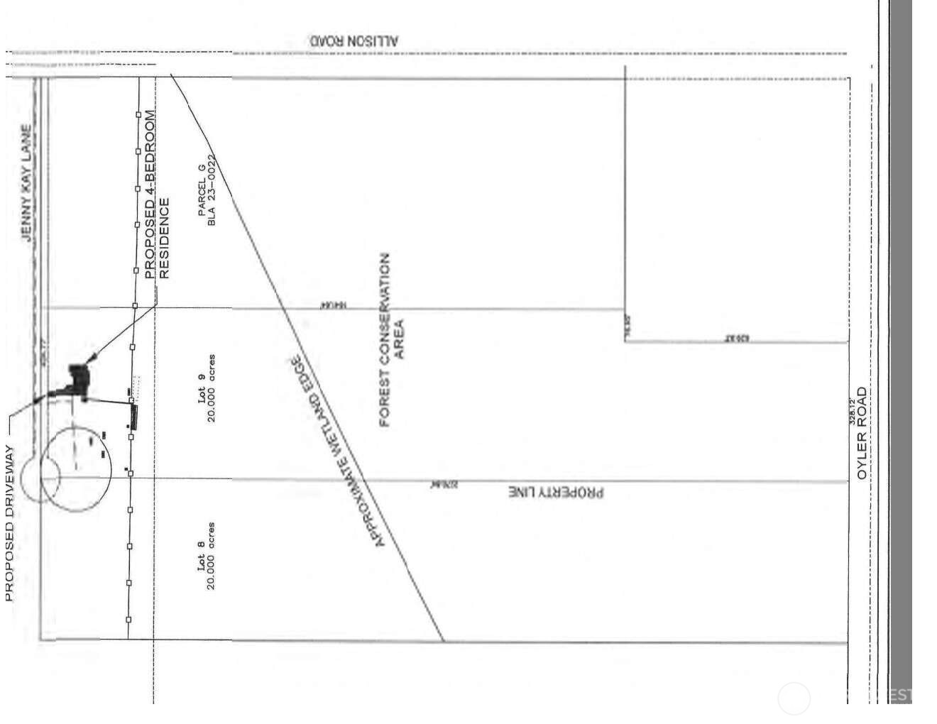
Welcome to 129 Jenny Kay Lane in Toledo. This READY TO BUILD 20+ acre parcel offers a blend of privacy, usability, and conservation. Approximately 17+- wooded acres are preserved in conservation easement reservation (providing tax exempt benefits with Lewis Co), while 3+ acres are ready for building your dream home with plenty of space for animals and gardens. The property is surveyed, wetland study-critical area report is complete, and Lewis Co approved Master Site Review & Plan is in place - saving you time and expense. Power and high-speed fiber internet available at the lot, and a 60GPM well is already installed on the property. Drive By and Look for More Info.
Listing Provided Courtesy of Andrew English, Congress Realty
General Information
NWM2503157
Land
10
DOM
20 acres
0
Lewis
Land
Land
Listing Provided Courtesy of Andrew English, Congress Realty
Krishna Realty data last checked: Apr 27, 2026 15:38 | Listing last modified Apr 16, 2026 16:35,
Source:
Welcome to 129 Jenny Kay Lane in Toledo. This READY TO BUILD 20+ acre parcel offers a blend of privacy, usability, and conservation. Approximately 17+- wooded acres are preserved in conservation easement reservation (providing tax exempt benefits with Lewis Co), while 3+ acres are ready for building your dream home with plenty of space for animals and gardens. The property is surveyed, wetland study-critical area report is complete, and Lewis Co approved Master Site Review & Plan is in place - saving you time and expense. Power and high-speed fiber internet available at the lot, and a 60GPM well is already installed on the property. Drive By and Look for More Info.