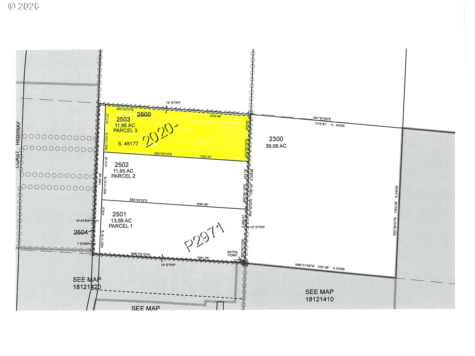
Parcel 3 offers a strong development opportunity with north–south frontage along undeveloped Spruce Street. The property is located north of Parcel 1 and 2. Spruce Street is partially developed up to Parcel 1 where utilities already available at the southwest corner, providing nearby access for future infrastructure extension. Zoning allows for a minimum lot size of 5,000 square feet and permits up to two attached living units per lot, making this parcel well suited for townhome or duplex-style residential development.
Listing Provided Courtesy of Maureen Hewlett, West Coast Real Estate Service
General Information
560365366
SingleFamilyResidence
4
DOM
11.95 acres
MRF2BD
Lane
1909421
Siuslaw 3/10
Siuslaw 3/10
Siuslaw 3/10
Land
SingleFamilyResidence
18-12-11-00-02503
Listing Provided Courtesy of Maureen Hewlett, West Coast Real Estate Service
Krishna Realty data last checked: Mar 16, 2026 22:08 | Listing last modified Jan 30, 2026 13:06,
Source:
Download our Mobile app
Residence Information
No
Features and Utilities
Financial
2664.22
0
Cash
01-26-2026
No
No
Comparable Information
4
49
Cash
$450,000
$450,000
Jan 30, 2026 13:06
Schools
public Elementary : Siuslaw
3/10Ratingspublic Middle : Siuslaw
3/10Ratingspublic High : Siuslaw
3/10Ratings
Map
Listing courtesy of West Coast Real Estate Service.
Parcel 3 offers a strong development opportunity with north–south frontage along undeveloped Spruce Street. The property is located north of Parcel 1 and 2. Spruce Street is partially developed up to Parcel 1 where utilities already available at the southwest corner, providing nearby access for future infrastructure extension. Zoning allows for a minimum lot size of 5,000 square feet and permits up to two attached living units per lot, making this parcel well suited for townhome or duplex-style residential development.