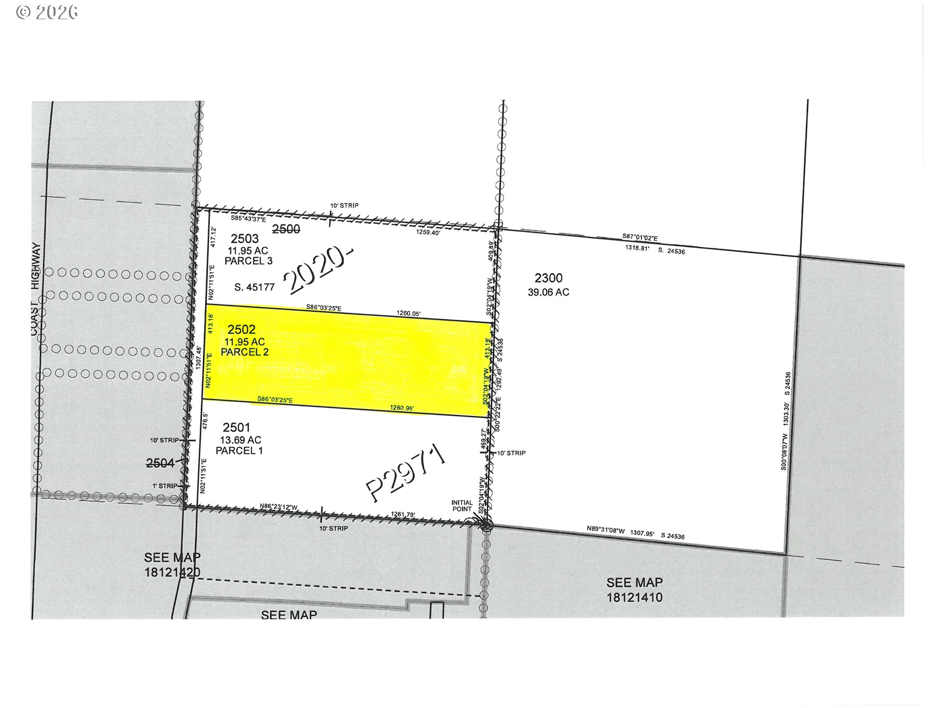
Parcel 2 offers a strong development opportunity with north–south frontage along undeveloped Spruce Street. The property is located directly north of Parcel 1, where Spruce Street is partially developed and utilities are already available at the southwest corner of Parcel 1, providing nearby access for future infrastructure extension. Zoning allows for a minimum lot size of 5,000 square feet and permits up to two attached living units per lot, making this parcel well suited for townhome or duplex-style residential development.
Listing Provided Courtesy of Maureen Hewlett, West Coast Real Estate Service
General Information
347940119
SingleFamilyResidence
4
DOM
11.95 acres
MRF2BD
Lane
1909413
Siuslaw 3/10
Siuslaw 3/10
Siuslaw 3/10
Land
SingleFamilyResidence
18-12-11-00-02502
Listing Provided Courtesy of Maureen Hewlett, West Coast Real Estate Service
Krishna Realty data last checked: Mar 16, 2026 10:44 | Listing last modified Jan 30, 2026 12:56,
Source:
Download our Mobile app
Residence Information
No
Features and Utilities
Financial
2664.22
0
Cash
01-26-2026
No
No
Comparable Information
4
49
Cash
$350,000
$350,000
Jan 30, 2026 12:56
Schools
public Elementary : Siuslaw
3/10Ratingspublic Middle : Siuslaw
3/10Ratingspublic High : Siuslaw
3/10Ratings
Map
Listing courtesy of West Coast Real Estate Service.
Parcel 2 offers a strong development opportunity with north–south frontage along undeveloped Spruce Street. The property is located directly north of Parcel 1, where Spruce Street is partially developed and utilities are already available at the southwest corner of Parcel 1, providing nearby access for future infrastructure extension. Zoning allows for a minimum lot size of 5,000 square feet and permits up to two attached living units per lot, making this parcel well suited for townhome or duplex-style residential development.