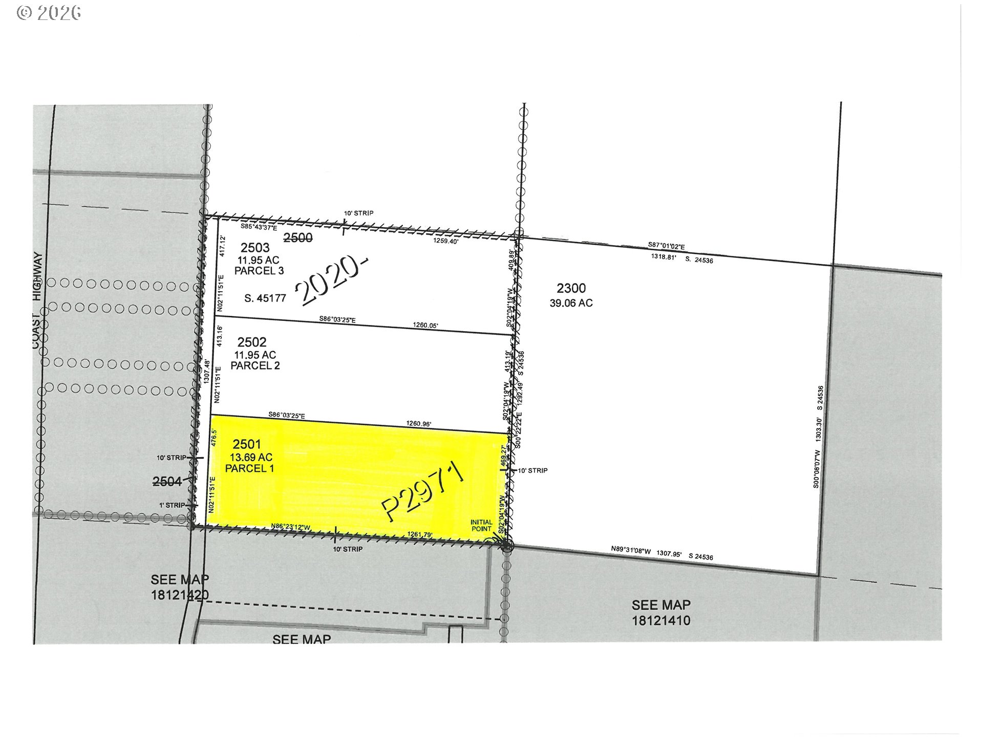
Prime Development Parcel – Spruce Street Frontage - Exceptional development opportunity with 476 feet of north-facing frontage on undeveloped Spruce Street. This parcel extends approximately 1,260 feet deep and offers strong potential for residential development. Utilities and a developed street are already in place at the southwest corner of the property, providing convenient access for future infrastructure expansion. Zoning allows for a minimum 5,000 sq ft lot size, with the ability to build up to two attached living units per lot, making this an ideal option for townhomes, duplex-style housing, or small-lot residential development. This parcel presents strong potential for builders or investors seeking flexibility and long-term value.
Listing Provided Courtesy of Maureen Hewlett, West Coast Real Estate Service
General Information
605538782
SingleFamilyResidence
4
DOM
13.69 acres
MRF2BD
Lane
1909405
Siuslaw 3/10
Siuslaw 3/10
Siuslaw 3/10
Land
SingleFamilyResidence
18-12-11-00-02501
Listing Provided Courtesy of Maureen Hewlett, West Coast Real Estate Service
Krishna Realty data last checked: Mar 16, 2026 16:01 | Listing last modified Jan 30, 2026 12:28,
Source:
Download our Mobile app
Residence Information
No
Features and Utilities
Financial
3052.14
0
Cash
01-26-2026
No
No
Comparable Information
4
49
Cash
$250,000
$250,000
Jan 30, 2026 12:28
Schools
public Elementary : Siuslaw
3/10Ratingspublic Middle : Siuslaw
3/10Ratingspublic High : Siuslaw
3/10Ratings
Map
Listing courtesy of West Coast Real Estate Service.
Prime Development Parcel – Spruce Street Frontage - Exceptional development opportunity with 476 feet of north-facing frontage on undeveloped Spruce Street. This parcel extends approximately 1,260 feet deep and offers strong potential for residential development. Utilities and a developed street are already in place at the southwest corner of the property, providing convenient access for future infrastructure expansion. Zoning allows for a minimum 5,000 sq ft lot size, with the ability to build up to two attached living units per lot, making this an ideal option for townhomes, duplex-style housing, or small-lot residential development. This parcel presents strong potential for builders or investors seeking flexibility and long-term value.