Rare R-3 infill opportunity in one of Eugene’s strongest studenthousing corridors, just two lots from Duck Landing an established 19-unit apartment project on the same Hilyard stretch that sold for $6.45M in December 2024. 1828 Hilyard is a 9,148 SF parcel with a 1945 single-family residence in place, though the property’s strongest appeal is its future redevelopment potential.With R-3 zoning and 24,448 UO students and limited oncampus beds pushing the majority into the private market, this corridor has structural demand that resets every fall. Ideal for a builder, developer, or infill investor. Buyer to verify all zoning, density, permitted uses, and development feasibility independently.
Listing Provided Courtesy of Joseph Tommy, John L. Scott Portland Central
General Information
634831860
SingleFamilyResidence
0
DOM
4
9147.6 SqFt
3
2654
1945
Lane
0600278
Edison
Roosevelt
South Eugene 9/10
Residential
SingleFamilyResidence
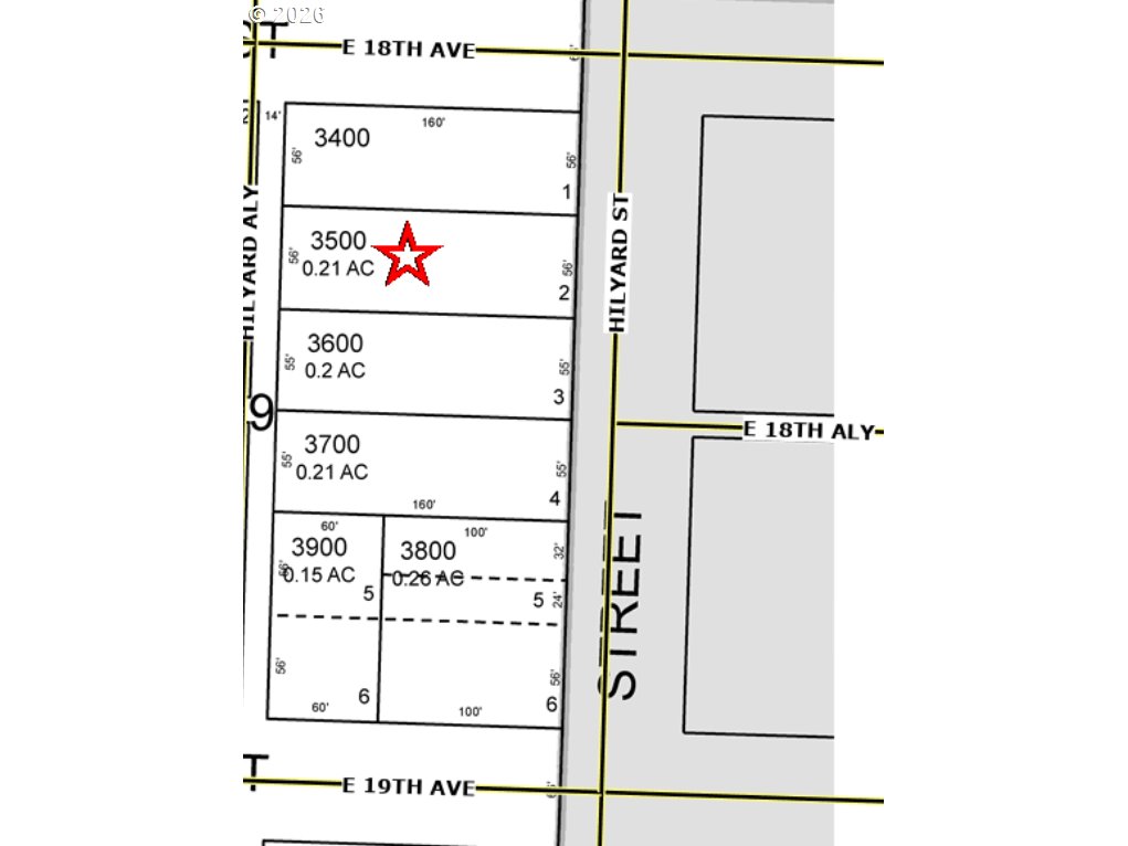
Lot 2, Block 9, Driverton Addition
Listing Provided Courtesy of Joseph Tommy, John L. Scott Portland Central
Krishna Realty data last checked: Mar 18, 2026 21:53 | Listing last modified Mar 18, 2026 17:40,
Source:
Rare R-3 infill opportunity in one of Eugene’s strongest studenthousing corridors, just two lots from Duck Landing an established 19-unit apartment project on the same Hilyard stretch that sold for $6.45M in December 2024. 1828 Hilyard is a 9,148 SF parcel with a 1945 single-family residence in place, though the property’s strongest appeal is its future redevelopment potential.With R-3 zoning and 24,448 UO students and limited oncampus beds pushing the majority into the private market, this corridor has structural demand that resets every fall. Ideal for a builder, developer, or infill investor. Buyer to verify all zoning, density, permitted uses, and development feasibility independently.