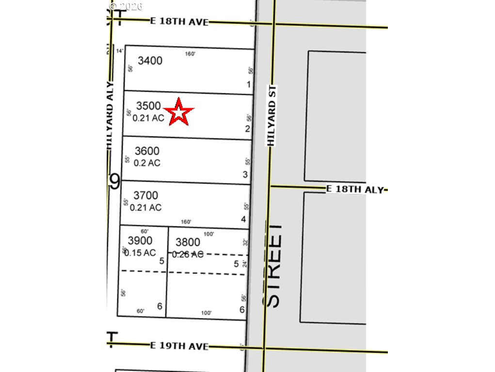
Rare R-3 infill opportunity with seller financing and creative financing available in one of Eugene's strongest student housing corridors, directly adjacent to Duck Landing a 19-unit purpose-built student housing complex on the same 0.21 acre footprint that sold for $6.45M in December 2024. 1828 Hilyard sits on a 9,148 SF parcel with a 1945 single-family residence in place. The path forward is flexible renovate the existing home to capture equity and add additional units in the rear, or tear down and build a full-scale student housing project from the ground up, mirroring the Duck Landing model next door. Buyer to verify all zoning, density, permitted uses, and development feasibility independently. Contact agent for financing terms.
Listing Provided Courtesy of Joseph Tommy, John L. Scott Portland Central
General Information
203670052
Commercial
30
DOM
2650
1945
R3
Lane
0600278
CommercialSale
Commercial
Lot 2, Block 9, Driverton Addition
Listing Provided Courtesy of Joseph Tommy, John L. Scott Portland Central
Krishna Realty data last checked: Apr 25, 2026 17:17 | Listing last modified Apr 17, 2026 13:44,
Source:
Download our Mobile app
Residence Information
2650
1945
No
Features and Utilities
ForcedAir, None
PublicSewer, SepticTank
Electricity, Gas
Financial
5286.95
Cash,Conventional,FHA,SellerWillSubordinate
03-18-2026
No
No
Comparable Information
30
38
Cash,Conventional,FHA,SellerWillSubordinate
$1,000,000
$1,000,000
Apr 17, 2026 13:44
Schools
Map
Listing courtesy of John L. Scott Portland Central.
Rare R-3 infill opportunity with seller financing and creative financing available in one of Eugene's strongest student housing corridors, directly adjacent to Duck Landing a 19-unit purpose-built student housing complex on the same 0.21 acre footprint that sold for $6.45M in December 2024. 1828 Hilyard sits on a 9,148 SF parcel with a 1945 single-family residence in place. The path forward is flexible renovate the existing home to capture equity and add additional units in the rear, or tear down and build a full-scale student housing project from the ground up, mirroring the Duck Landing model next door. Buyer to verify all zoning, density, permitted uses, and development feasibility independently. Contact agent for financing terms.