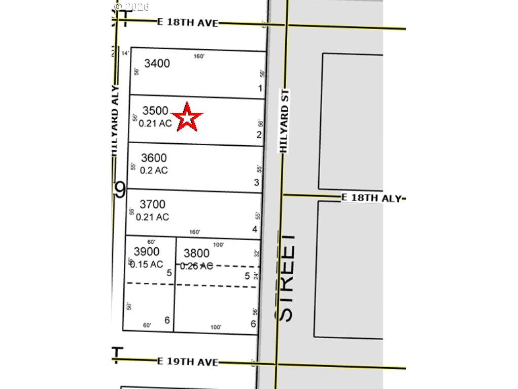
Rare R-3 infill opportunity with seller financing and creative financing available in one of Eugene's strongest student housing corridors, directly adjacent to Duck Landing a 19-unit purpose-built student housing complex on the same 0.21 acre footprint that sold for $6.45M in December 2024. 1828 Hilyard sits on a 9,148 SF parcel with a 1945 single-family residence in place. The path forward is flexible renovate the existing home to capture equity and add additional units in the rear, or tear down and build a full-scale student housing project from the ground up, mirroring the Duck Landing model next door. Buyer to verify all zoning, density, permitted uses, and development feasibility independently. Contact agent for financing terms.
Listing Provided Courtesy of Joseph Tommy, John L. Scott Portland Central
General Information
262343609
30
DOM
4
3
2650
1945
R3
Lane
0600278
Edison
Roosevelt
South Eugene 9/10
MultiFamily
Lot 2, Block 9, Driverton Addition
Listing Provided Courtesy of Joseph Tommy, John L. Scott Portland Central
Krishna Realty data last checked: Apr 20, 2026 17:14 | Listing last modified Apr 17, 2026 13:44,
Source:
Rare R-3 infill opportunity with seller financing and creative financing available in one of Eugene's strongest student housing corridors, directly adjacent to Duck Landing a 19-unit purpose-built student housing complex on the same 0.21 acre footprint that sold for $6.45M in December 2024. 1828 Hilyard sits on a 9,148 SF parcel with a 1945 single-family residence in place. The path forward is flexible renovate the existing home to capture equity and add additional units in the rear, or tear down and build a full-scale student housing project from the ground up, mirroring the Duck Landing model next door. Buyer to verify all zoning, density, permitted uses, and development feasibility independently. Contact agent for financing terms.