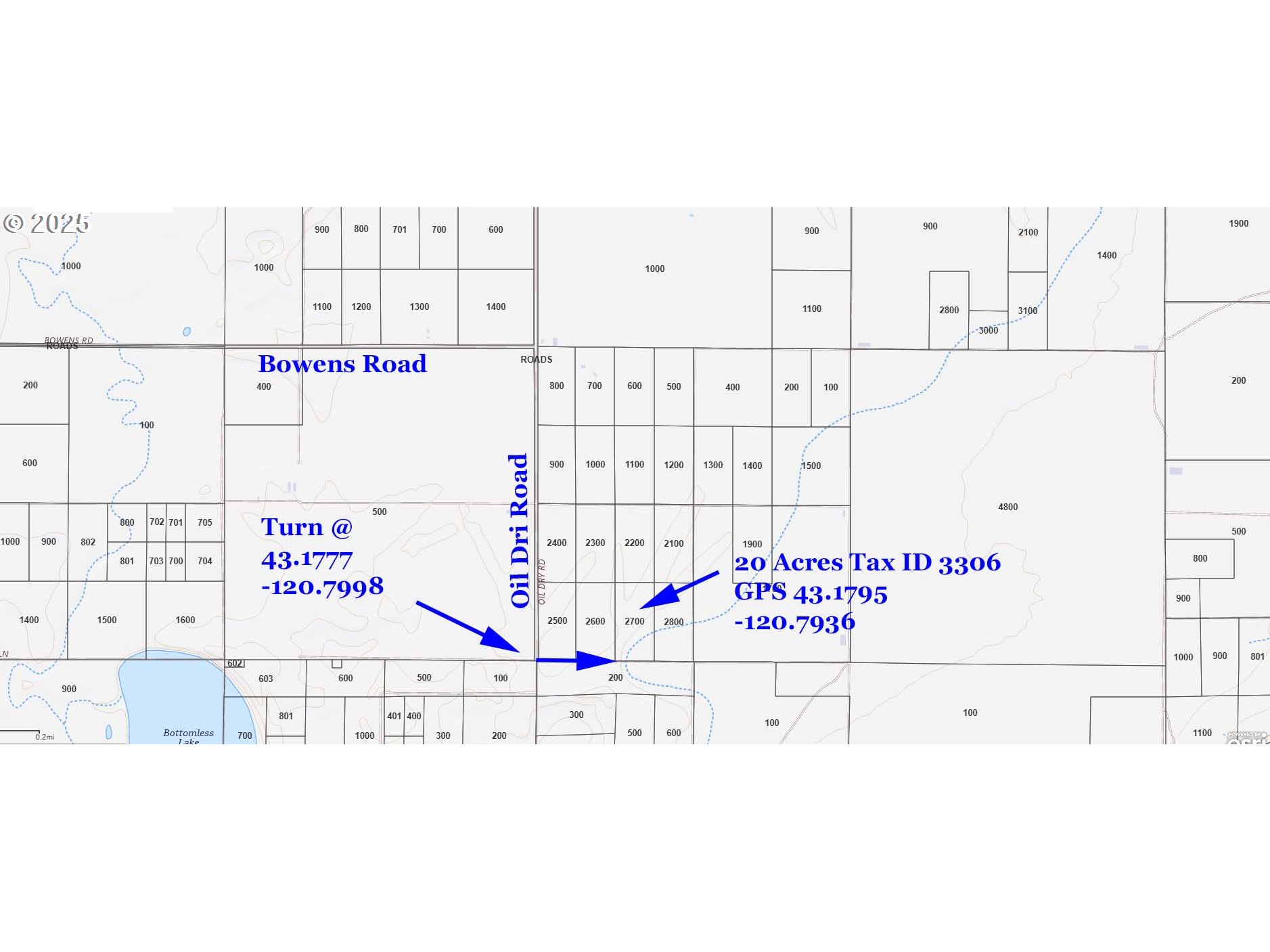
20 Acres Zoned A2 just off Oil Dri Road and its situated perfectly for a homestead, farm, ranch, or just a great place to raise a few head of cattle and live life. If you are into ATV-OHV or just bugging out then this could be the one. Peaceful area with abundant privacy and Power is just along Oil Dri Road and extremely close by. Area of farms and hay production. No Owner Carry. GPS and directions are on the maps and topos in the MLS photos.
Listing Provided Courtesy of Robert Tessmer, Cascade Land and Homes LLC
General Information
575759091
Farm
405
DOM
20 acres
A2
Lake
3306
North Lake
North Lake
North Lake
Land
Farm
Tax ID 3303 Map 27S16E35-00-02700
Listing Provided Courtesy of Robert Tessmer, Cascade Land and Homes LLC
Krishna Realty data last checked: Apr 26, 2026 10:34 | Listing last modified Apr 10, 2026 09:11,
Source:
Download our Mobile app
Residence Information
No
Features and Utilities
Financial
105.59
0
Cash
03-01-2025
No
No
Comparable Information
405
421
Cash
$20,000
$20,000
Apr 10, 2026 09:11
Schools
Elementary : North LakeN/ARatings Middle : North Lake N/ARatings High : North LakeN/ARatings
20 Acres Zoned A2 just off Oil Dri Road and its situated perfectly for a homestead, farm, ranch, or just a great place to raise a few head of cattle and live life. If you are into ATV-OHV or just bugging out then this could be the one. Peaceful area with abundant privacy and Power is just along Oil Dri Road and extremely close by. Area of farms and hay production. No Owner Carry. GPS and directions are on the maps and topos in the MLS photos.
Similar Properties
Download our Mobile app
$79,500
Bed
Bath
0 SqFt
16 DOM
Lost Forest Lane 5600,
Christmas Valley, 97641
$25,000
Bed
Bath
0 SqFt
54 DOM
North Star Lane,
Christmas Valley, 97641
$1,299,000
Bed
Bath
0 SqFt
68 DOM
31868 Hwy 20,
Christmas Valley, 97641
$34,000
Bed
Bath
0 SqFt
570 DOM
Christmas Valley HWY TL-200,
Christmas Valley, 97641