S. Chiloquin Road 100

Chiloquin, 97624

  • Bed

  • Bath

  • SqFt

  • 48 DOM

  • Built:

  • Status: Active

$14,000

X

S. Chiloquin Road 100

Chiloquin 97624

$14000

  • Bed

  • Bath

  • SqFt

  • 48 DOM

  • Built:

  • Status: Active

Krishna Regupathy

Principal Broker

(503) 893-8874

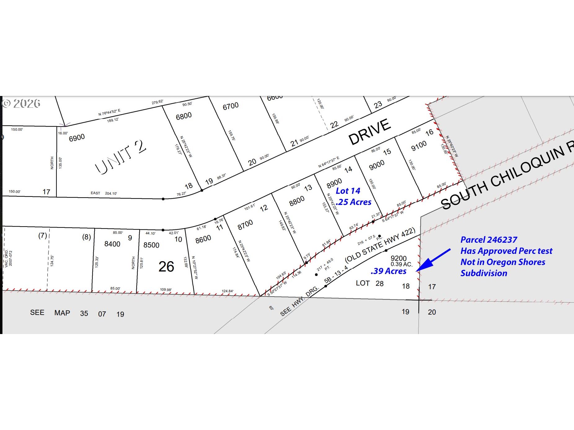
Very attractive triangular-shaped corner parcel. Has large pine tree. Well needed, septic needed. Old approved perk on file at the county per the seller. Power and phone on the road and close by. Nice mountain view lot close to Agency Lake, golfing, boating, and other recreational activities. Great parcel on paved road for modular or stick-framed home. Has a previous expired perc on file with the county.

Download our Mobile app

Similar Properties

Download our Mobile app

$25,000

  • Bed

  • Bath

  • 0 SqFt

  • 207 DOM

  • Glen DR, Chiloquin, 97624

$8,444,000

  • 3 Bed

  • 2 Bath

  • 2689 SqFt

  • 17 DOM

  • 3355 Kircher RD, Chiloquin, 97624

$18,000

  • Bed

  • Bath

  • 0 SqFt

  • 24 DOM

  • Scott View Drive 11, Chiloquin, 97624

$8,500,000

  • 4 Bed

  • 2 Bath

  • 2372 SqFt

  • 41 DOM

  • 1950 SILVER LAKE RD, Chiloquin, 97624