Legget DR 22

Chiloquin, 97624

  • Bed

  • Bath

  • SqFt

  • 1120 DOM

  • Built:

  • Status: Off Market

$45,000

X

Legget DR 22

Chiloquin 97624

$45000

  • Bed

  • Bath

  • SqFt

  • 1120 DOM

  • Built:

  • Status: Off Market

Love this home?

Ask a Question

Krishna Regupathy

Principal Broker

(503) 893-8874

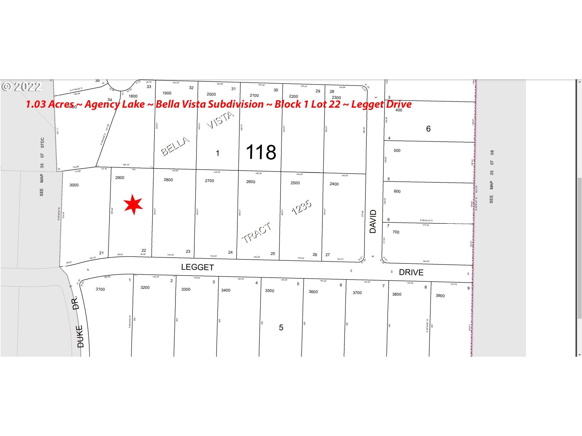
Agency Lake ~ Bella Vista Subdivision 1.03 Acres, Gently rising parcel up from road edge is situated perfectly for your custom built home. Area of nicer homes in upscale subdivision. Nicely graded packed gravel roads, underground utilities. Well and septic needed for development. Boat ramp, camping, golfing are all very close by. Approx. Center Long: -121.9208 Approx. Center Lat: 42.5457

Download our Mobile app

Similar Properties

Download our Mobile app

$11,000

  • Bed

  • Bath

  • 0 SqFt

  • 75 DOM

  • Irving Way 51, Chiloquin, 97624

$18,000

  • Bed

  • Bath

  • 0 SqFt

  • 75 DOM

  • Cloudcap Drive 6, Chiloquin, 97624

$485,000

  • 3 Bed

  • 2.5 Bath

  • 2358 SqFt

  • 100 DOM

  • 34786 PLEASANT VIEW RD, Chiloquin, 97624

$15,000

  • Bed

  • Bath

  • 0 SqFt

  • 109 DOM

  • 32818 JEAN ST, Chiloquin, 97624