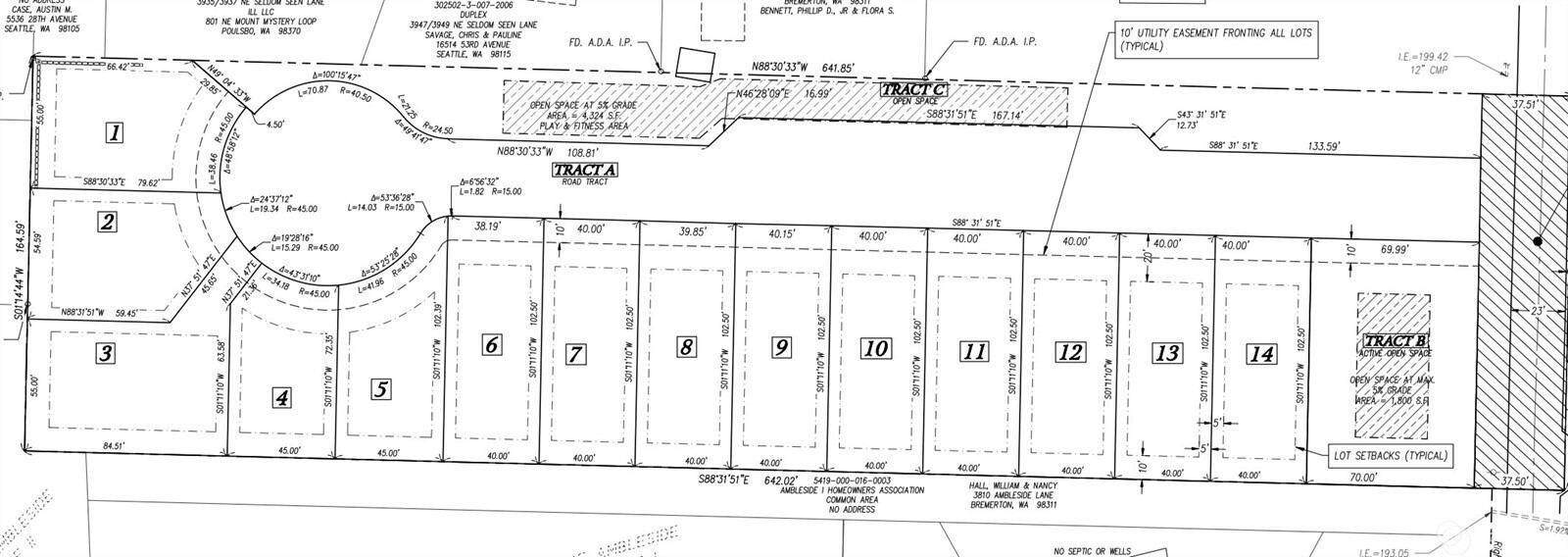
We are on the waitlist for water with North Perry Water District!! Get everything prepped and ready so when the hook ups go online you're ahead of the pack. Gorgeous neighborhood awaits your developer. SDAP Approved for 14 lots! The approval process for this has been approved until JULY 2026. Looking to build a beautiful neighborhood on sewer and water, come take a look. Details of approvals are in supplements so please ask your agent to share. Thoughtfully laid out lots can accommodate a myriad of homes. Upscale or as affordable as possible. Location is ideal with open space buffering first home from Illahee road, close to schools and shopping. 5 minutes from State Park, 10 minutes from Ferry, 10 minutes from Puget Sound Naval Shipyards and Bangor Submarine Base. Marketable timber could assist with access road and development. Not into a build? Got equip?Prepare for individual lot sales. Prime location across from waterfront homes.
Listing Provided Courtesy of AnnaLee Todd, John L. Scott, Inc.
General Information
NWM2468261
Land
64
DOM
2.31 acres
0
Residen
Kitsap
Land
Land
Listing Provided Courtesy of AnnaLee Todd, John L. Scott, Inc.
Krishna Realty data last checked: Apr 06, 2026 09:55 | Listing last modified Mar 25, 2026 17:07,
Source:
We are on the waitlist for water with North Perry Water District!! Get everything prepped and ready so when the hook ups go online you're ahead of the pack. Gorgeous neighborhood awaits your developer. SDAP Approved for 14 lots! The approval process for this has been approved until JULY 2026. Looking to build a beautiful neighborhood on sewer and water, come take a look. Details of approvals are in supplements so please ask your agent to share. Thoughtfully laid out lots can accommodate a myriad of homes. Upscale or as affordable as possible. Location is ideal with open space buffering first home from Illahee road, close to schools and shopping. 5 minutes from State Park, 10 minutes from Ferry, 10 minutes from Puget Sound Naval Shipyards and Bangor Submarine Base. Marketable timber could assist with access road and development. Not into a build? Got equip?Prepare for individual lot sales. Prime location across from waterfront homes.
Similar Properties
Download our Mobile app
$125,000
Bed
Bath
0 SqFt
5 DOM
0 Illahee Road,
Bremerton, 98311
$375,000
Bed
Bath
0 SqFt
11 DOM
5280 Illahee Road NE,
Bremerton, 98311
$89,000
Bed
Bath
0 SqFt
73 DOM
2633 NE Strand Road,
Bremerton, 98311
$78,900
Bed
Bath
0 SqFt
73 DOM
9880 Nels Nelson (LOT 26) Road NW,
Bremerton, 98311