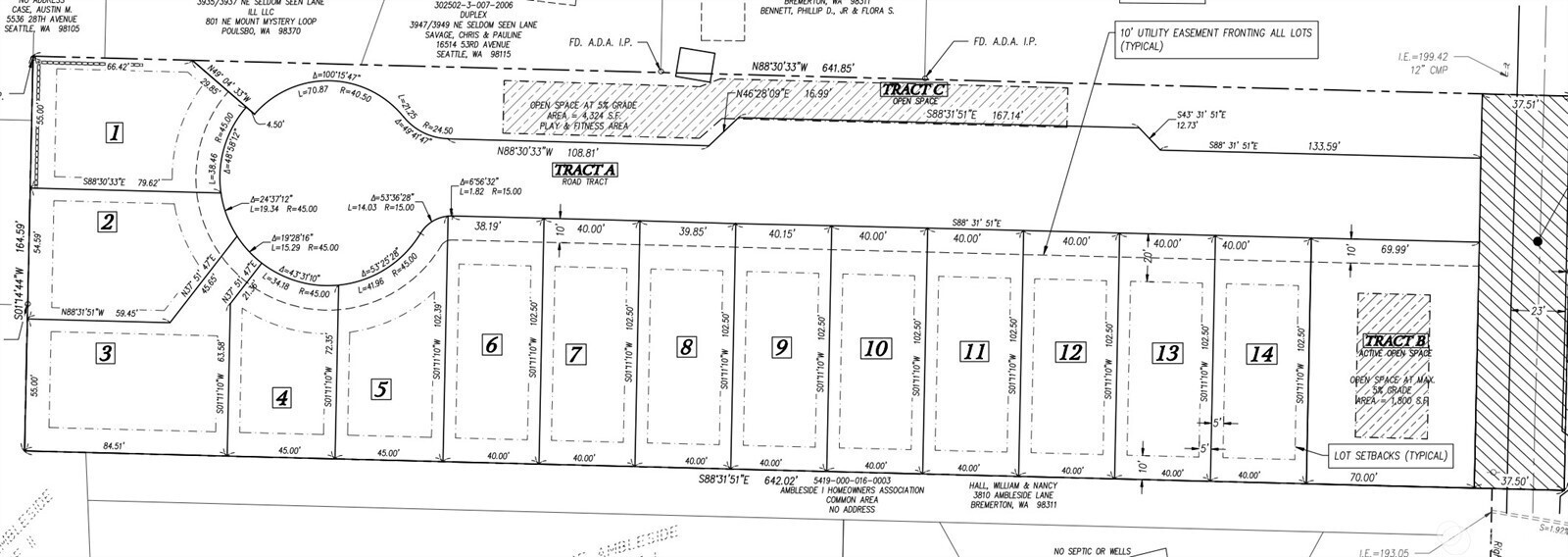
We are on the waitlist for water with North Perry Water District!! Get everything prepped and ready so when the hook ups go online you're ahead of the pack. Gorgeous neighborhood awaits your developer. SDAP Approved for 14 lots! The approval process for this has been approved until JULY 2026. Looking to build a beautiful neighborhood on sewer and water, come take a look. Details of approvals are in supplements so please ask your agent to share. Thoughtfully laid out lots can accommodate a myriad of homes. Upscale or as affordable as possible. Location is ideal with open space buffering first home from Illahee road, close to schools and shopping. 5 minutes from State Park, 10 minutes from Ferry, 10 minutes from Puget Sound Naval Shipyards and Bangor Submarine Base. Marketable timber could assist with access road and development. Not into a build? Got equip?Prepare for individual lot sales. Prime location across from waterfront homes.
Listing Provided Courtesy of AnnaLee Todd, John L. Scott, Inc.
General Information
NWM2481824
Commercial Industrial
60
DOM
2.31 acres
0
0
Residen
Kitsap
Commercial Sale
Commercial Industrial
Listing Provided Courtesy of AnnaLee Todd, John L. Scott, Inc.
Krishna Realty data last checked: Apr 27, 2026 03:13 | Listing last modified Apr 20, 2026 18:27,
Source:
We are on the waitlist for water with North Perry Water District!! Get everything prepped and ready so when the hook ups go online you're ahead of the pack. Gorgeous neighborhood awaits your developer. SDAP Approved for 14 lots! The approval process for this has been approved until JULY 2026. Looking to build a beautiful neighborhood on sewer and water, come take a look. Details of approvals are in supplements so please ask your agent to share. Thoughtfully laid out lots can accommodate a myriad of homes. Upscale or as affordable as possible. Location is ideal with open space buffering first home from Illahee road, close to schools and shopping. 5 minutes from State Park, 10 minutes from Ferry, 10 minutes from Puget Sound Naval Shipyards and Bangor Submarine Base. Marketable timber could assist with access road and development. Not into a build? Got equip?Prepare for individual lot sales. Prime location across from waterfront homes.