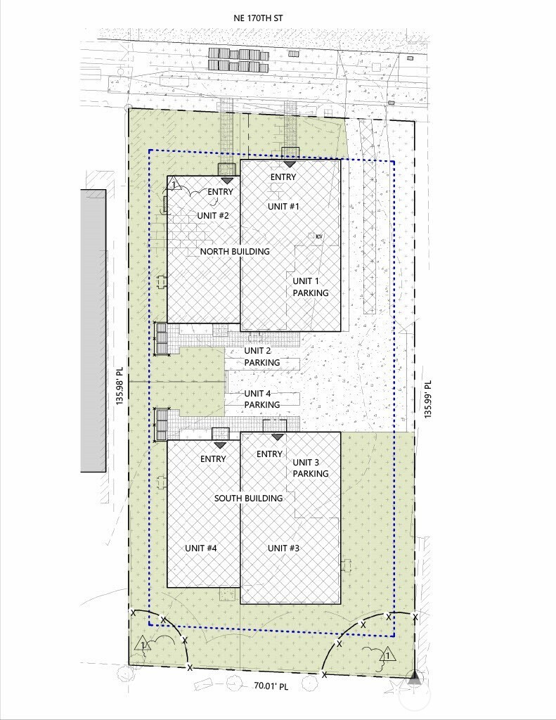
Attention Builders / Investors: Rare opportunity to immediately start construction on Shovel Ready project with no design & entitlement risk. 4-unit middle housing project in Shoreline’s North City neighborhood. City permits are APPROVED and ready to issue, structures have been removed, and required tree removal is complete. The approved plan consists of four units across two, 2-story duplex buildings: each with a 1,685 SF 3-bedroom / 2.5-bath home with office and 1-car garages, and a 1,196 SF 2-bedroom / 2.5-bath homes with flex rooms (office space or possible 3rd beds) and surface parking. Two-story design utilizes conventional framing, simple forms, and repeatable layouts that support shorter construction duration and cost efficiency. Flexible exit options- build-to-hold with strong rental appeal, sell individually or a hybrid exit. Ideally located within close proximity to both light rail stations and amenities. Served by award-winning Shoreline schools.
Listing Provided Courtesy of Peter N Tang, Pellego, Inc.
General Information
NWM2484089
Single Family Residence
49
DOM
9
9517.86 SqFt
12
5760
2026
King
Residential
Single Family Residence
Listing Provided Courtesy of Peter N Tang, Pellego, Inc.
Krishna Realty data last checked: Apr 27, 2026 00:45 | Listing last modified Mar 25, 2026 19:00,
Source:
Attention Builders / Investors: Rare opportunity to immediately start construction on Shovel Ready project with no design & entitlement risk. 4-unit middle housing project in Shoreline’s North City neighborhood. City permits are APPROVED and ready to issue, structures have been removed, and required tree removal is complete. The approved plan consists of four units across two, 2-story duplex buildings: each with a 1,685 SF 3-bedroom / 2.5-bath home with office and 1-car garages, and a 1,196 SF 2-bedroom / 2.5-bath homes with flex rooms (office space or possible 3rd beds) and surface parking. Two-story design utilizes conventional framing, simple forms, and repeatable layouts that support shorter construction duration and cost efficiency. Flexible exit options- build-to-hold with strong rental appeal, sell individually or a hybrid exit. Ideally located within close proximity to both light rail stations and amenities. Served by award-winning Shoreline schools.