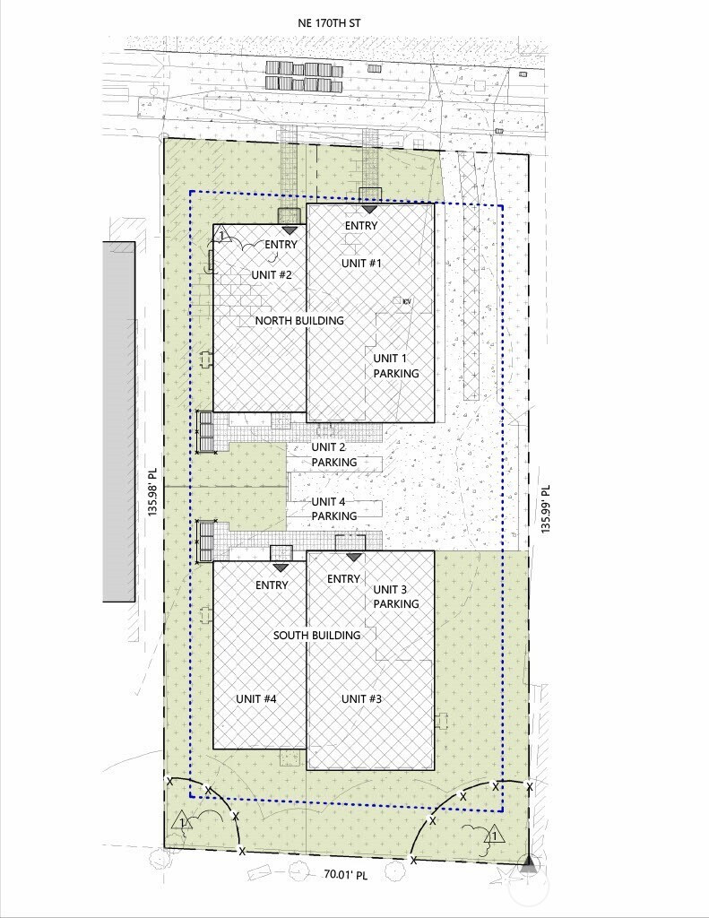
Attention Builders / Investors: Rare opportunity to immediately start construction on Shovel Ready project with no design & entitlement risk. 4-unit middle housing project in Shoreline’s North City neighborhood. City permits are APPROVED and ready to issue, structures have been removed, and required tree removal is complete. The approved architectural plans consist of four units across two, 2-story duplex buildings: each with a 1,685 SF 3-bedroom / 2.5-bath home with office and 1-car garages, and a 1,196 SF 2-bedroom / 2.5-bath homes with flex rooms (office space or possible 3rd beds) and surface parking. Two-story design utilizes conventional framing, simple forms, and repeatable layouts that support shorter construction duration and cost efficiency. Flexible exit options- build-to-hold with strong rental appeal, sell individually or a hybrid exit. Ideally located within close proximity to both light rail stations and amenities. Served by award-winning Shoreline schools. Permitted plans are included in the list price & photos contain renderings.
Listing Provided Courtesy of Peter N Tang, Pellego, Inc.
General Information
NWM2476417
Land
49
DOM
9517.86 SqFt
0
Residen
King
Land
Land
Listing Provided Courtesy of Peter N Tang, Pellego, Inc.
Krishna Realty data last checked: Apr 05, 2026 18:00 | Listing last modified Mar 25, 2026 19:00,
Source:
Attention Builders / Investors: Rare opportunity to immediately start construction on Shovel Ready project with no design & entitlement risk. 4-unit middle housing project in Shoreline’s North City neighborhood. City permits are APPROVED and ready to issue, structures have been removed, and required tree removal is complete. The approved architectural plans consist of four units across two, 2-story duplex buildings: each with a 1,685 SF 3-bedroom / 2.5-bath home with office and 1-car garages, and a 1,196 SF 2-bedroom / 2.5-bath homes with flex rooms (office space or possible 3rd beds) and surface parking. Two-story design utilizes conventional framing, simple forms, and repeatable layouts that support shorter construction duration and cost efficiency. Flexible exit options- build-to-hold with strong rental appeal, sell individually or a hybrid exit. Ideally located within close proximity to both light rail stations and amenities. Served by award-winning Shoreline schools. Permitted plans are included in the list price & photos contain renderings.
Similar Properties
Download our Mobile app
$300,000
Bed
Bath
0 SqFt
37 DOM
18800 10th Avenue NE,
Shoreline, 98155
$1,400,000
Bed
Bath
0 SqFt
69 DOM
1564 NE Serpentine Place,
Shoreline, 98155
$8,716,490
Bed
Bath
0 SqFt
93 DOM
190 XX 10th (Assemblage) Avenue NE,
Shoreline, 98155
$175,000
Bed
Bath
0 SqFt
82 DOM
194 XX Forest Park Drive NE,
Lake Forest Park, 98155