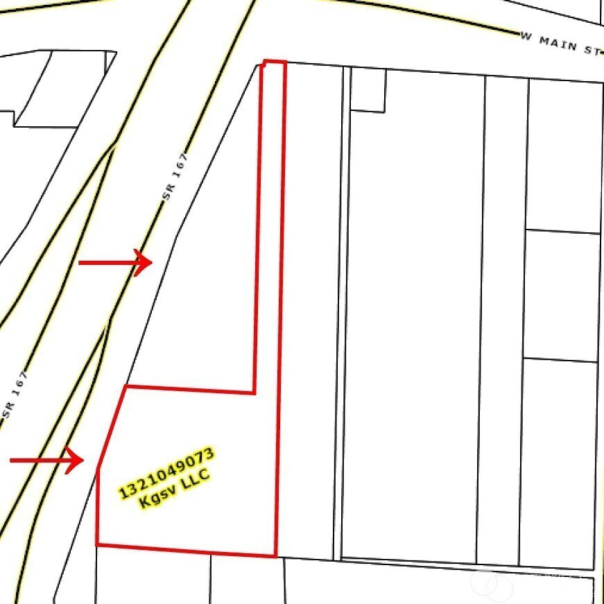
Investor alert! Don’t miss this incredible opportunity to purchase land in the valley, Commercial Zoned. The seller also owns the adjacent property, which is currently being used for commercial purposes. Buyers are advised to verify all information to their own satisfaction, as the seller has not conducted any surveys or studies on the property. Prime location with easy access to Highway 167, just minutes from downtown Auburn. Enjoy close proximity to endless amenities, including the Outlet Collection and much more.
Listing Provided Courtesy of Saab Badyal, John L. Scott, Inc
General Information
NWM2493963
Commercial Industrial
11
DOM
5.75 acres
0
1969
Busines
King
Commercial Sale
Commercial Industrial
Listing Provided Courtesy of Saab Badyal, John L. Scott, Inc
Krishna Realty data last checked: Apr 30, 2026 14:14 | Listing last modified Mar 31, 2026 22:40,
Source:
Investor alert! Don’t miss this incredible opportunity to purchase land in the valley, Commercial Zoned. The seller also owns the adjacent property, which is currently being used for commercial purposes. Buyers are advised to verify all information to their own satisfaction, as the seller has not conducted any surveys or studies on the property. Prime location with easy access to Highway 167, just minutes from downtown Auburn. Enjoy close proximity to endless amenities, including the Outlet Collection and much more.