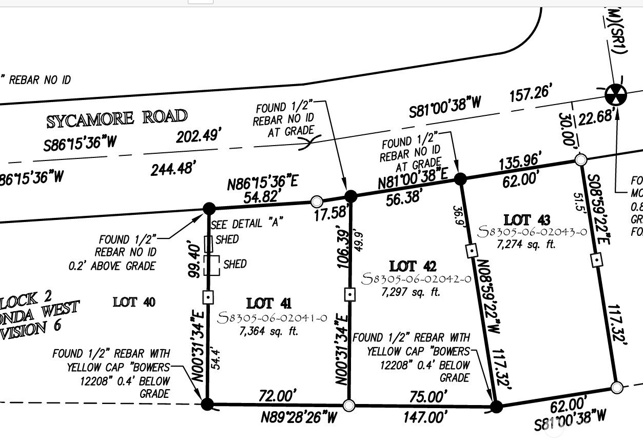
43 E Sycamore Road

Coupeville, WA 98239

  • Bed

  • Bath

  • 0 SqFt

  • 255 DOM

  • Built:

  • Status: Active

$74,000

X

43 E Sycamore Road

Coupeville 98239

$74000

  • Bed

  • Bath

  • 0 SqFt

  • 255 DOM

  • Built:

  • Status: Active

Krishna Regupathy

Principal Broker

(503) 893-8874

Check out this wonderful building lot in the Teronda West Community. This wooded lot is surveyed and has an approved septic system design for a 2 bedroom home. Water hookups are available. Enjoy the 8 acre Park or check out the Community Beach! All it needs is you with your builder and your dreams. Be sure you look at this lot- you'll be glad you did.

Download our Mobile app

Similar Properties

Download our Mobile app

$120,000

  • Bed

  • Bath

  • 0 SqFt

  • 6 DOM

  • 401 Gramayre Road, Coupeville, 98239

$125,000

  • Bed

  • Bath

  • 0 SqFt

  • 11 DOM

  • 0 0 Teronda Drive, Coupeville, 98239

$220,000

  • Bed

  • Bath

  • 0 SqFt

  • 18 DOM

  • 261 Aloha Place #Lot #2, Coupeville, 98239

$99,000

  • Bed

  • Bath

  • 0 SqFt

  • 26 DOM

  • 0 Lot 55 Nimitz Drive, Coupeville, 98239