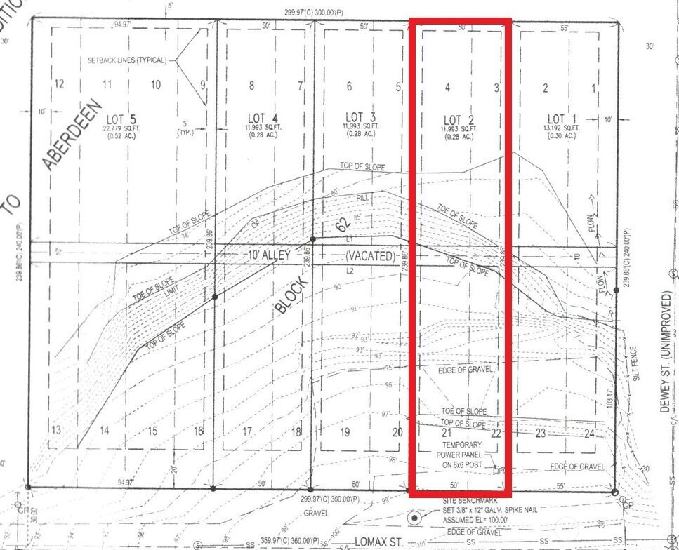
12,000 sq ft lot overlooking South Aberdeen. Build your multi-family complex or a private hilltop estate. Seller has initiated a boundary line adjustment and will complete it upon satisfaction of buyer's feasibility. This homesite is up on a hill, out of the flood zone, with no through traffic on the street. Water, power, and sewer are in the street. An area of the lots has been excavated, leveled, and graveled. The property has a completed topographic survey, geotechnical report, and utilities marked.
Listing Provided Courtesy of Erik Lundeen, Premier Realty Grays Harbor
General Information
NWM2493845
Land
7
DOM
0.28 acres
0
Grays Harbor
Land
Land
Listing Provided Courtesy of Erik Lundeen, Premier Realty Grays Harbor
Krishna Realty data last checked: Apr 27, 2026 14:35 | Listing last modified Mar 24, 2026 16:42,
Source:
12,000 sq ft lot overlooking South Aberdeen. Build your multi-family complex or a private hilltop estate. Seller has initiated a boundary line adjustment and will complete it upon satisfaction of buyer's feasibility. This homesite is up on a hill, out of the flood zone, with no through traffic on the street. Water, power, and sewer are in the street. An area of the lots has been excavated, leveled, and graveled. The property has a completed topographic survey, geotechnical report, and utilities marked.