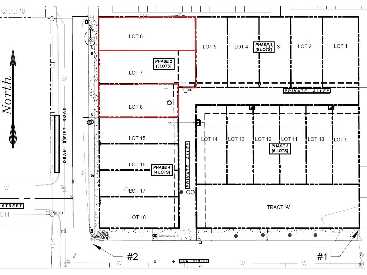
Three mixed residential "live-work" zoned developed lots for sale. These lots are graded and ready to build with paving, curbs, sidewalks, water, sewer, gas, and electric. The special zoning for the lots permits building "duplexes" with street-level low-impact businesses and additional residential levels above with the potential to rent the business levels and homes together or separately. The subdivision is also approved for attached or detached townhomes so buildings on separate lots may be joined or partially joined at the lot lines for zero-setback requirements between the lots and to allow for increased 60% lot coverage. The front entrances of the structures would be on Dean Swift to the west with a 5' setback and a driveway access from Gracie Lane with an 18' setback. Lots 809 and 810 are larger to accommodate driveways with access for 809 through the driveway of 810 (see tax lot map for details). Lot 171234DC00809 is 4,180 sq ft measuring 110' x 38', Lot 171234DC00810 is 4,260 sq ft measuring 110' x 38' + 4' x 20', and Lot 171234DC00811 is 3,420 sq ft measuring 90' x 38'. 62062 Dean Swift Rd is the old tract address being used for the ease of location this set of three developed lots.
Listing Provided Courtesy of Jonathan Minerick, homecoin.com
General Information
788015724
MixedUse
37
DOM
0.28 acres
RM
Deschutes
282259
Bear Creek 4/10
Pilot Butte 5/10
Bend
Land
MixedUse
MARKS CORNER PHASES 2 & 3 6-7
Listing Provided Courtesy of Jonathan Minerick, homecoin.com
Krishna Realty data last checked: Apr 27, 2026 15:28 | Listing last modified Apr 03, 2026 06:44,
Source:
Download our Mobile app
Residence Information
No
Features and Utilities
Financial
1012.75
0
Cash
02-25-2026
No
No
Comparable Information
37
61
Cash
$975,000
$972,000
Apr 03, 2026 06:44
Schools
public Elementary : Bear Creek
4/10Ratingspublic Middle : Pilot Butte
5/10Ratingsprivate High : BendN/ARatings
Three mixed residential "live-work" zoned developed lots for sale. These lots are graded and ready to build with paving, curbs, sidewalks, water, sewer, gas, and electric. The special zoning for the lots permits building "duplexes" with street-level low-impact businesses and additional residential levels above with the potential to rent the business levels and homes together or separately. The subdivision is also approved for attached or detached townhomes so buildings on separate lots may be joined or partially joined at the lot lines for zero-setback requirements between the lots and to allow for increased 60% lot coverage. The front entrances of the structures would be on Dean Swift to the west with a 5' setback and a driveway access from Gracie Lane with an 18' setback. Lots 809 and 810 are larger to accommodate driveways with access for 809 through the driveway of 810 (see tax lot map for details). Lot 171234DC00809 is 4,180 sq ft measuring 110' x 38', Lot 171234DC00810 is 4,260 sq ft measuring 110' x 38' + 4' x 20', and Lot 171234DC00811 is 3,420 sq ft measuring 90' x 38'. 62062 Dean Swift Rd is the old tract address being used for the ease of location this set of three developed lots.