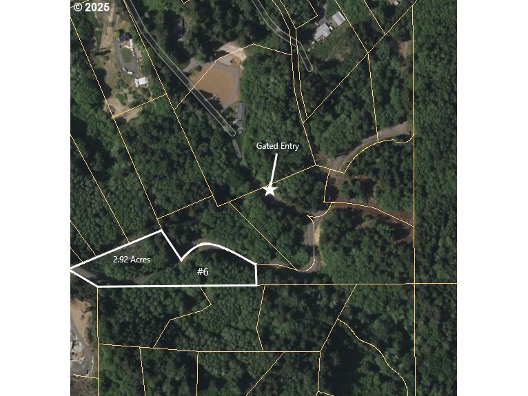
Enjoy privacy and natural beauty on 2.92 wooded acres in North Bay Ridge Estates, a thoughtfully designed gated community on the outskirts of North Bend. This attractive coastal neighborhood features secure gated access and locking mailboxes, creating a peaceful environment while protecting the integrity and value of the community. Lot #6 is located on Fiddle Back Road and offers a tranquil forested setting with potential water views depending on home design and placement. The parcel provides a wonderful opportunity to create a private coastal retreat surrounded by mature trees and the quiet beauty of the Southern Oregon Coast.The buildable area is smaller relative to the overall lot size, a factor thoughtfully reflected in the pricing. This still allows for a comfortable homesite while preserving the natural landscape and privacy that make the property so appealing. Outdoor adventure is just minutes away. Explore nearby Pacific Ocean beaches, enjoy world-class off-road riding and recreation at the Oregon Dunes National Recreation Area, or take advantage of the region’s excellent fishing, boating, and hiking opportunities. The parcel has approval for an ATT septic system, helping streamline the building process. Underground utilities are available at the road, including power, city water, and cable. Protective CCRs are in place to help maintain the quality, character, and long-term value of North Bay Ridge Estates.
Listing Provided Courtesy of Juli Whelchel, Coastal Sotheby's International Realty
General Information
596650167
SingleFamilyResidence
41
DOM
2.92 acres
RR-2
Coos
99921534
North Bay 6/10
North Bend 3/10
North Bend 3/10
Land
SingleFamilyResidence
24-13-35D Tax Lot #108
Listing Provided Courtesy of Juli Whelchel, Coastal Sotheby's International Realty
Krishna Realty data last checked: Apr 23, 2026 08:24 | Listing last modified Mar 13, 2026 16:57,
Source:
Download our Mobile app
Residence Information
No
Features and Utilities
Financial
724.25
0
Cash,Conventional,OwnerWillCarry
03-13-2026
No
No
Comparable Information
41
41
Cash,Conventional,OwnerWillCarry
$175,000
$175,000
Mar 13, 2026 16:57
Schools
public Elementary : North Bay
6/10Ratingspublic Middle : North Bend
3/10Ratingspublic High : North Bend
3/10Ratings
Map
Listing courtesy of Coastal Sotheby's International Realty.
Enjoy privacy and natural beauty on 2.92 wooded acres in North Bay Ridge Estates, a thoughtfully designed gated community on the outskirts of North Bend. This attractive coastal neighborhood features secure gated access and locking mailboxes, creating a peaceful environment while protecting the integrity and value of the community. Lot #6 is located on Fiddle Back Road and offers a tranquil forested setting with potential water views depending on home design and placement. The parcel provides a wonderful opportunity to create a private coastal retreat surrounded by mature trees and the quiet beauty of the Southern Oregon Coast.The buildable area is smaller relative to the overall lot size, a factor thoughtfully reflected in the pricing. This still allows for a comfortable homesite while preserving the natural landscape and privacy that make the property so appealing. Outdoor adventure is just minutes away. Explore nearby Pacific Ocean beaches, enjoy world-class off-road riding and recreation at the Oregon Dunes National Recreation Area, or take advantage of the region’s excellent fishing, boating, and hiking opportunities. The parcel has approval for an ATT septic system, helping streamline the building process. Underground utilities are available at the road, including power, city water, and cable. Protective CCRs are in place to help maintain the quality, character, and long-term value of North Bay Ridge Estates.