0 W Lockhart AVE

Coos Bay, 97420

  • Bed

  • Bath

  • SqFt

  • 1 DOM

  • Built:

  • Status: Active

$499,000

X

0 W Lockhart AVE

Coos Bay 97420

$499000

  • Bed

  • Bath

  • SqFt

  • 1 DOM

  • Built:

  • Status: Active

Krishna Regupathy

Principal Broker

(503) 893-8874

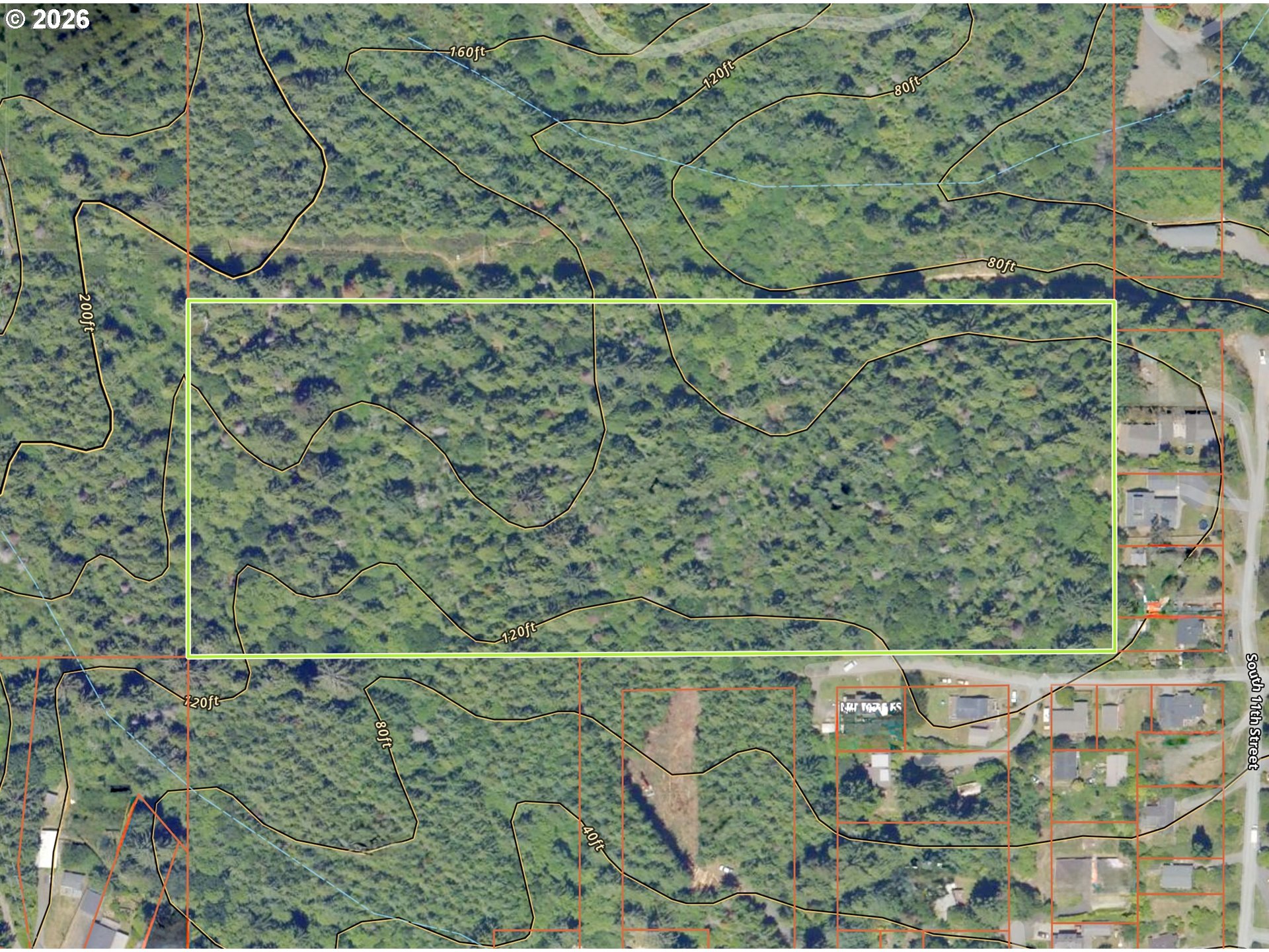
Super rare 14.24-acre development opportunity overlooking the bay and city of Coos Bay. Positioned at approximate elevations of 120’–180’, this property offers expansive views of the bay, city lights, and surrounding coastal landscape. Approximate dimensions of 1,294’ x 487’ provide a large, flexible footprint for a variety of potential development concepts. The property is nicely positioned on a sunny southeast-facing slope, offering excellent natural light exposure and potential for view-oriented site planning. With selective tree clearing, the property may offer even more expansive bay and city views. With over 14 acres, the property may also provide an exceptional setting to build a private dream home with space, views, and privacy while remaining next to town. Zoned R-3 Multiple Residential District, the property is intended to support higher-density residential development and a variety of housing types. Permitted uses include multi-family dwellings, cluster development, group residential housing, and other residential configurations designed to accommodate diverse housing needs. Conditional uses may include duplex housing, planned unit developments, accessory apartments, and other residential uses subject to city planning approval. The land features merchantable timber and natural topography that may lend itself well to thoughtful site planning while maintaining privacy and scenic surroundings. Located in the growing coastal community of Coos Bay, the property offers close proximity to beaches, fishing, crabbing, boating, hiking, and the Oregon Dunes National Recreation Area for ATV recreation. World-class golf at Bandon Dunes Golf Resort is just a short drive away. Large residential development parcels with amazing views and flexible zoning are increasingly few and far between along the Oregon Coast. Buyer to verify zoning, permitted uses, and development requirements with the City of Coos Bay Planning Department.

Download our Mobile app

Similar Properties

Download our Mobile app

$19,900

  • Bed

  • Bath

  • 0 SqFt

  • 35 DOM

  • 0 Shon Sta WAY, Coos Bay, 97420

$149,000

  • Bed

  • Bath

  • 0 SqFt

  • 48 DOM

  • Flanagan, Coos Bay, 97420

$349,000

  • Bed

  • Bath

  • 0 SqFt

  • 51 DOM

  • 0 Stian Smith RD 605, Coos Bay, 97420

$187,000

  • Bed

  • Bath

  • 0 SqFt

  • 50 DOM

  • 91136 Seaview LN, Coos Bay, 97420