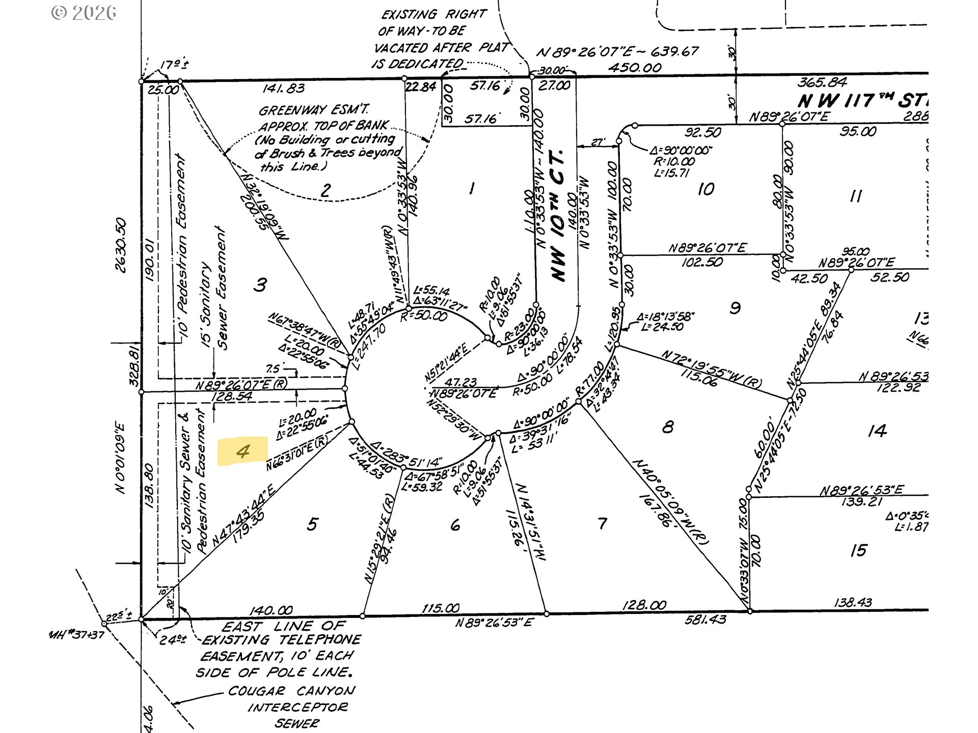
Call your builder and come see this exceptionally nice greenbelt lot. Find it in a cul-de-sac backing to the Cougar Creek greenbelt, sloping toward the creek, perfect for a daylight basement house with potential for an ADU downstairs. Check out this location in a great area of nice homes. Discover the convenience of this Felida location, conveniently located to shopping, schools and both freeways. Come se it today.
Listing Provided Courtesy of Mike Lamb, Windermere Northwest Living
General Information
653234004
SingleFamilyResidence
3
DOM
10454.4 SqFt
R1-7.5
Clark
118263146
Sacajawea
Jefferson
Columbia River
Land
SingleFamilyResidence
COUGAR CREEK PARK ADDITION #2 LOT 4 FOR ASSESSOR USE ONLY COUGAR CREEK PARK ADDITION #2 LOT 4
Listing Provided Courtesy of Mike Lamb, Windermere Northwest Living
Krishna Realty data last checked: Mar 16, 2026 15:39 | Listing last modified Feb 08, 2026 11:34,
Source:
Download our Mobile app
Residence Information
No
Features and Utilities
Financial
1777.56
0
Cash,Conventional
02-05-2026
No
No
Comparable Information
3
39
Cash,Conventional
$365,000
$365,000
Feb 08, 2026 11:34
Schools
Elementary : SacajaweaN/ARatings Middle : Jefferson N/ARatings High : Columbia RiverN/ARatings
Call your builder and come see this exceptionally nice greenbelt lot. Find it in a cul-de-sac backing to the Cougar Creek greenbelt, sloping toward the creek, perfect for a daylight basement house with potential for an ADU downstairs. Check out this location in a great area of nice homes. Discover the convenience of this Felida location, conveniently located to shopping, schools and both freeways. Come se it today.