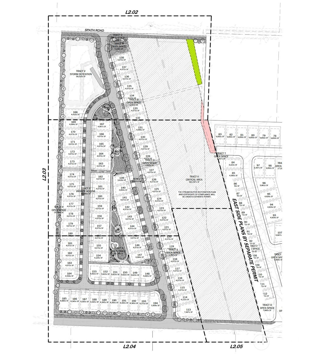
Discover Carlsborg Village, just min. from Sequim: The project offers 82 single-family homesites on 20 acres with Final Engineering approval, concluded variance hearing, HPA issued, HMP & creek buffer restoration plan approved! The approval for modified setbacks allows for 35’ wide homes on the lots. Located in the PNW "banana belt", Carlsborg Village enjoys a mild, sunny climate w/ only 17 inches of rain per year—much less than the Puget Sound area’s 38 inches. This makes it ideal for year-round outdoor living, offering mountain views & easy access to outdoor activities. Sequim, known as the "Gateway to the Olympic Peninsula," offers a friendly community, countless recreational opportunities, & affordable living in a beautiful setting! Seller is open to owner financing and/or other creative structures.
Listing Provided Courtesy of Mathis Jessen, Land Advisors Organization WA
General Information
NWM2453453
Land
75
DOM
20.29 acres
0
Residen
Clallam
Buyer To Verify
Buyer To Verify
Buyer To Verify
Land
Land
Listing Provided Courtesy of Mathis Jessen, Land Advisors Organization WA
Krishna Realty data last checked: Feb 22, 2026 10:58 | Listing last modified Jan 21, 2026 22:47,
Source:
Download our Mobile app
Residence Information
0
41 - Res-Over 1 Acre
Features and Utilities
Available, In Street, See Rema
In Street
Financial
Cash Out, Owner Financing, See Remarks
11-07-2025
Comparable Information
75
75
Cash Out, Owner Financing, See Remarks
$4,000,000
$4,000,000
Jan 21, 2026 22:47
Schools
Elementary : Buyer To VerifyN/ARatings Middle : Buyer To Verify N/ARatings High : Buyer To VerifyN/ARatings
Map
Listing courtesy of Land Advisors Organization WA.
Discover Carlsborg Village, just min. from Sequim: The project offers 82 single-family homesites on 20 acres with Final Engineering approval, concluded variance hearing, HPA issued, HMP & creek buffer restoration plan approved! The approval for modified setbacks allows for 35’ wide homes on the lots. Located in the PNW "banana belt", Carlsborg Village enjoys a mild, sunny climate w/ only 17 inches of rain per year—much less than the Puget Sound area’s 38 inches. This makes it ideal for year-round outdoor living, offering mountain views & easy access to outdoor activities. Sequim, known as the "Gateway to the Olympic Peninsula," offers a friendly community, countless recreational opportunities, & affordable living in a beautiful setting! Seller is open to owner financing and/or other creative structures.