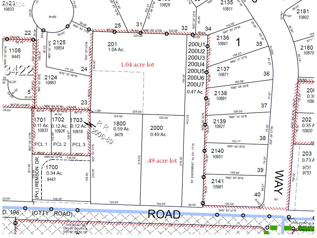
Beautiful separate lot of record 1.04 acre available to build single family home or develop subdivision under R5 zoning in unincorporated Clackamas County. County says property qualifies for middle housing presenting an opportunity to develop multiple single family homes, 2-4 plexes, townhomes or cottage clusters. Adjacent home located at 9479 SE Hillcrest Rd with .59 acre also available. See ML# 115246218. Easy access to I-205 and Sunnyside Rd. Near Mt Scott Elementary.
Listing Provided Courtesy of Nancy Carnahan, Ventures Realty Group
General Information
24515916
SingleFamilyResidence
444
DOM
1.04 acres
R5
Clackamas
00112979
Mt Scott
Rock Creek
Clackamas 8/10
Land
SingleFamilyResidence
SECTION 33 TOWNSHIP 1S RANGE 2E QUARTER AB TAX LOT 00201
Listing Provided Courtesy of Nancy Carnahan, Ventures Realty Group
Krishna Realty data last checked: Mar 17, 2026 02:17 | Listing last modified Feb 12, 2026 15:55,
Source:
Download our Mobile app
Residence Information
No
Features and Utilities
Financial
1575.36
0
Cash,Conventional
11-26-2024
No
No
Comparable Information
444
476
Cash,Conventional
$550,000
$475,000
Feb 12, 2026 15:55
Schools
Elementary : Mt ScottN/ARatings Middle : Rock Creek N/ARatingscharter High : Clackamas
8/10Ratings
Beautiful separate lot of record 1.04 acre available to build single family home or develop subdivision under R5 zoning in unincorporated Clackamas County. County says property qualifies for middle housing presenting an opportunity to develop multiple single family homes, 2-4 plexes, townhomes or cottage clusters. Adjacent home located at 9479 SE Hillcrest Rd with .59 acre also available. See ML# 115246218. Easy access to I-205 and Sunnyside Rd. Near Mt Scott Elementary.